Nous utilisons des témoins et d’autres technologies pour assurer le fonctionnement et la sécurité de nos services en ligne, et pour vous offrir une expérience personnalisée. En continuant à utiliser nos services en ligne, vous acceptez notre Politique de confidentialité et les conditions d’utilisation. Pour obtenir des informations sur la façon de régler vos paramètres de confidentialité, veuillez consulter notre Politique sur les témoins.
Masquer
Accueil ON Norfolk Norfolk County Simcoe
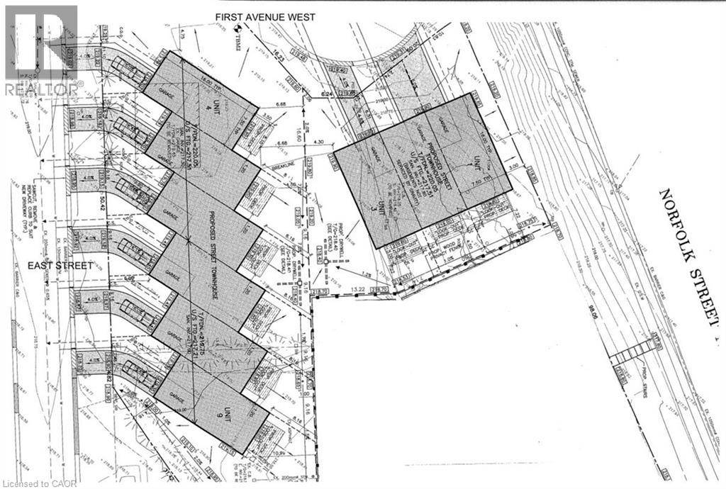
0 EAST Street
Directions Imprimer
Plus de photos + 1
0 EAST Street 1 500 000 $
1 500 000 $
Masquer
Favoris

0 EAST Street
Simcoe, Ontario N3Y2P1

Numéro MLS® : 40805684

Résumé de la propriété

Type de propriété
Terrain vacant
Titre
Tenure franche
Superficie du terrain
1/2 - 1,99 acre
Impôt foncier annuel
5 150 $
Sur REALTOR.ca depuis
8 jours

Édifice

Caractéristiques intérieures
Type de sous-sol
Pas de sous-sol
Caractéristiques du bâtiment
Unités totales
0
Services publics
Égouts
Égout municipal
Eau
Approvisionnement en eau par la municipalité
Caractéristiques du quartier
Commodités à proximité
Un hôpital

Terrain

Caractéristiques du terrain
Façade
209 pi
Souhaitez-vous visiter cette propriété?
Demander une visite

Inscriptions semblables

ROD FESS