Nous utilisons des témoins et d’autres technologies pour assurer le fonctionnement et la sécurité de nos services en ligne, et pour vous offrir une expérience personnalisée. En continuant à utiliser nos services en ligne, vous acceptez notre Politique de confidentialité et les conditions d’utilisation. Pour obtenir des informations sur la façon de régler vos paramètres de confidentialité, veuillez consulter notre Politique sur les témoins.
Masquer
Accueil NB Comté de Gloucester Shippagan
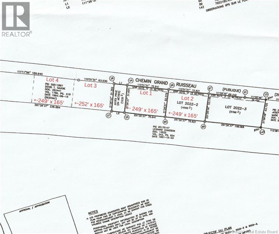
4,000 mc Chemin Grand Ruisseau
Directions Imprimer
4,000 mc Chemin Grand Ruisseau 29 900 $
29 900 $
Masquer
Favoris

4,000 mc Chemin Grand Ruisseau
Pigeon Hill, Nouveau-Brunswick E8T2T7

Numéro MLS® : NB133383

Description de l’inscription

Situé dans un village tranquille, c'est un bel endroit pour y construire votre maison de rêve. Non loin de la Mer, ce terrain est à saisir. Le lot est boisé, pouvant vous procurer un lieu privé à Pigeon Hill. Vous pouvez y pratiquer la pêche ou simplement profiter de la plage à proximité. Le lot sera arpenté au frais du vendeur lors de la finalisation de l'achat. L'évaluation foncière et le montant des taxes foncières sont ceux du lot au complet. Ce montant sera ajusté après la vente d'un lot. Located in a quiet village, this is a beautiful place to build your dream home. Not far from the sea, this land is a must-see. The lot is wooded, providing you with a private location in Pigeon Hill. You can go fishing or simply enjoy the nearby beache. The lot will be surveyed at the seller's expense upon completion of the purchase. The property assessment and property tax amount are for the entire lot. This amount will be adjusted after the sale of a lot. (29473598)

Résumé de la propriété

Type de propriété
Terrain vacant
Titre
Tenure franche
Superficie du terrain
4000 m2
Impôt foncier annuel
167,05 $
Sur REALTOR.ca depuis
18 jours

Édifice

Caractéristiques du bâtiment
Caractéristiques
Boisé, Bois de feuillus, Bois de résineux
Structures
Aucune
Services publics
Égouts
Pas de réseau d'égouts
Eau
Aucun

Terrain

Caractéristiques du terrain
Type de sol
Inconnu
Autres informations sur la propriété
Accès
Accès toute l'année, Voie publique
Données fournies par : REALTORS® du Nouveau Brunswick
Souhaitez-vous visiter cette propriété?
Demander une visite

Inscriptions semblables

Robert Noel