Nous utilisons des témoins et d’autres technologies pour assurer le fonctionnement et la sécurité de nos services en ligne, et pour vous offrir une expérience personnalisée. En continuant à utiliser nos services en ligne, vous acceptez notre Politique de confidentialité et les conditions d’utilisation. Pour obtenir des informations sur la façon de régler vos paramètres de confidentialité, veuillez consulter notre Politique sur les témoins.
Masquer
Accueil QC Matawinie Rawdon
Rue Halliday
Directions Imprimer
Plus de photos + 1
Rue Halliday 64 900 $
Depuis 9 heures
64 900 $
Masquer
Favoris

Rue Halliday
Rawdon, Québec J0K1S0

Numéro MLS® : 19556355

Description de l’inscription

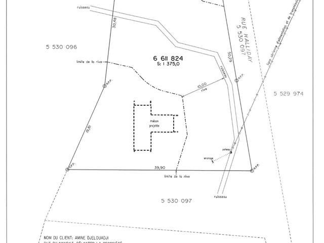
Terrain boisé situé sur la rue Halliday, offrant un environnement paisible et une belle intimité. Le lot 6 611 824 bénéficie d'un cadre naturel recherché, idéal pour un projet résidentiel réfléchi, avec accès au Lac du Domaine Merveilleux. Une portion du terrain est traversée par un ruisseau à écoulement saisonnier, généralement asséché durant la période estivale, ce qui permet de délimiter clairement la zone constructible et de planifier le projet en toute transparence. Le terrain convient parfaitement à un acheteur désirant bâtir dans un secteur calme, tout en respectant les caractéristiques naturelles du site. (48893765)

Résumé de la propriété

Type de propriété
Terrain vacant
Superficie du terrain
1375 m2
Sur REALTOR.ca depuis
9 heures

Édifice

Services publics
Égouts
Pas de réseau d'égouts

Terrain

Caractéristiques du terrain
Façade
50.29 m
Autres informations sur la propriété
Type de Zonage
Résidentiel
Caractéristiques de la ferme
Type de ferme
Autre
Caractéristiques du bord de l'eau
Nom du secteur riverain
Le Domaine Merveilleux
Souhaitez-vous visiter cette propriété?
Demander une visite

Inscriptions semblables

Danny Prud'homme