Nous utilisons des témoins et d’autres technologies pour assurer le fonctionnement et la sécurité de nos services en ligne, et pour vous offrir une expérience personnalisée. En continuant à utiliser nos services en ligne, vous acceptez notre Politique de confidentialité et les conditions d’utilisation. Pour obtenir des informations sur la façon de régler vos paramètres de confidentialité, veuillez consulter notre Politique sur les témoins.
Masquer
Accueil QC Saint-Lin--Laurentides
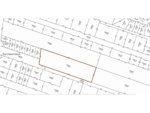
Rue Désormeaux
Directions Imprimer
Rue Désormeaux 1 090 000 $
Depuis 2 jours
1 090 000 $
Masquer
Favoris

Rue Désormeaux
Saint-Lin/Laurentides, Québec J5M2X8

Numéro MLS® : 26500168

Description de l’inscription

Terrain de 7 742 m² situé au bout de la rue Desormeaux à Saint-Lin--Laurentides, dans un secteur établi et recherché pour sa tranquillité et sa qualité de vie. Son emplacement en bout de rue offre intimité, faible circulation et environnement harmonieux, tout en demeurant à proximité des services, commerces et axes routiers. Une esquisse de projet sur plan, incluant des terrains voisins déjà favorables au développement, est annexée au listing, offrant une vision claire du potentiel global. Une opportunité rare pour investisseur ou promoteur à la recherche d'un terrain de grande superficie avec projection concrète. Valeur approximative:14$/pi (55752707)

Résumé de la propriété

Type de propriété
Terrain vacant
Quartier
Saint-Lin
Superficie du terrain
7242.3 m2
Sur REALTOR.ca depuis
2 jours

Édifice

Caractéristiques du bâtiment
Caractéristiques
Terrain plat
Services publics
Égouts
Pas de réseau d'égouts

Terrain

Caractéristiques du terrain
Façade
138.52 m
Autres informations sur la propriété
Type de Zonage
Résidentiel
Caractéristiques de la ferme
Type de ferme
Autre
Souhaitez-vous visiter cette propriété?
Demander une visite

Inscriptions semblables

Guillaume Simoneau