Nous utilisons des témoins et d’autres technologies pour assurer le fonctionnement et la sécurité de nos services en ligne, et pour vous offrir une expérience personnalisée. En continuant à utiliser nos services en ligne, vous acceptez notre Politique de confidentialité et les conditions d’utilisation. Pour obtenir des informations sur la façon de régler vos paramètres de confidentialité, veuillez consulter notre Politique sur les témoins.
Masquer
Accueil QC Salaberry-de-Valleyfield Beauharnois-Salaberry
Rue Jacques-Cartier
Directions Imprimer
Rue Jacques-Cartier 2 000 000 $ + TPS + TVQ
Modification du prix le 2026/02/25
2 000 000 $ + TPS + TVQ
-500 000 $
2 500 000 $
Masquer
Favoris

Rue Jacques-Cartier
Salaberry-de-Valleyfield, Québec J6T5E6

Numéro MLS® : 21760609

Description de l’inscription

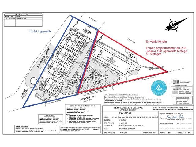
Superbe opportunité d'acquérir un terrain avec la possibilité de construire 3 x 24 logements ou pour la construction d'un 100 logements avec Garage sous-terrain .Zonage autorise jusqu'a 6 étages Le projet est accepté au PAE et reste seulement à déposer les plans pour les demande de permis. TPS/TVQ doivent être ajoutées au prix demandé (51007363)

Résumé de la propriété

Type de propriété
Terrain vacant
Quartier
Salaberry-de-Valleyfield
Superficie du terrain
75000 pi2
Sur REALTOR.ca depuis
44 jours

Édifice

Caractéristiques du bâtiment
Caractéristiques
Terrain plat
Services publics
Égouts
Égout municipal
Eau
Approvisionnement en eau par la municipalité
Caractéristiques du quartier
Commodités à proximité
Autoroute, Un hôpital, Parc, Écoles

Terrain

Autres informations sur la propriété
Type de Zonage
Résidentiel
Caractéristiques de la ferme
Type de ferme
Autre
Souhaitez-vous visiter cette propriété?
Demander une visite

Inscriptions semblables

François Tremblay