Nous utilisons des témoins et d’autres technologies pour assurer le fonctionnement et la sécurité de nos services en ligne, et pour vous offrir une expérience personnalisée. En continuant à utiliser nos services en ligne, vous acceptez notre Politique de confidentialité et les conditions d’utilisation. Pour obtenir des informations sur la façon de régler vos paramètres de confidentialité, veuillez consulter notre Politique sur les témoins.
Masquer
Accueil MB Division No. 3 Dufferin
32062 Service W 3 Highway
Directions Imprimer
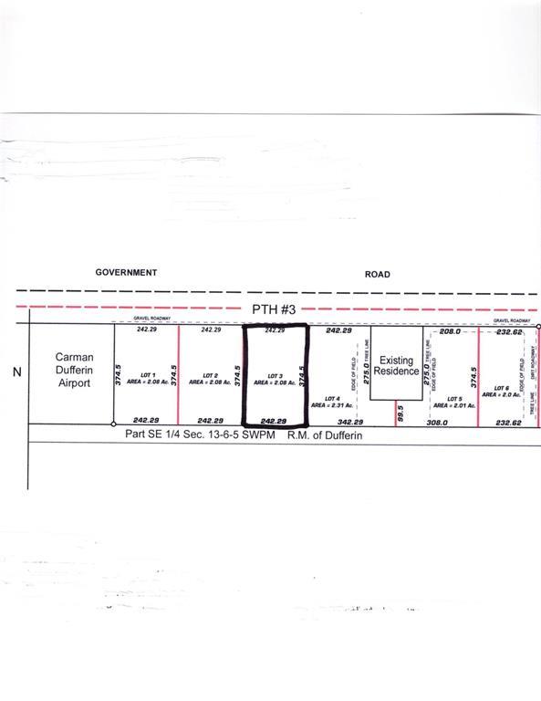
32062 Service W 3 Highway 185 000 $
185 000 $
Masquer
Favoris

32062 Service W 3 Highway
Dufferin, Manitoba R0G0J0

Numéro MLS® : 202600487
0
Salles de bain
-
Pieds carrés

Résumé de la propriété

Type de propriété
Terrain vacant
Type de bâtiment
Aucun bâtiment
Titre
Tenure franche
Superficie du terrain
2.08 a|2 - 4,99 acres
Impôt foncier annuel
441,67 $
Sur REALTOR.ca depuis
52 jours

Édifice

Salles de bain
Total
0
Partielle
0
Données fournies par : Winnipeg Regional Real Estate Board
Souhaitez-vous visiter cette propriété?
Demander une visite

204-745-7710
204-745-2200

Inscriptions semblables

Tamera Bell