Nous utilisons des témoins et d’autres technologies pour assurer le fonctionnement et la sécurité de nos services en ligne, et pour vous offrir une expérience personnalisée. En continuant à utiliser nos services en ligne, vous acceptez notre Politique de confidentialité et les conditions d’utilisation. Pour obtenir des informations sur la façon de régler vos paramètres de confidentialité, veuillez consulter notre Politique sur les témoins.
Masquer
Accueil BC Grand Salmon Arm Columbia-Shuswap Salmon Arm
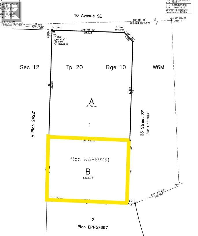
1081 23 Street SE
Directions Imprimer
1081 23 Street SE 315 000 $
315 000 $
Masquer
Favoris

1081 23 Street SE
Salmon Arm, Colombie-Britannique V1E2J4

Numéro MLS® : 10371719

Résumé de la propriété

Type de propriété
Terrain vacant
Type de bâtiment
Autre
Titre
Tenure franche
Superficie du terrain
0.14 a|moins de 1 acre
Impôt foncier annuel
0 $
Sur REALTOR.ca depuis
56 jours

Édifice

Services publics
Services publics disponibles
Service du câble (Jusqu'à la limite du terrain)
Égouts
Égout municipal
Eau
Approvisionnement en eau par la municipalité

Terrain

Caractéristiques du terrain
Type de route
Route revêtue
Données fournies par : Association of Interior REALTORS®
Souhaitez-vous visiter cette propriété?
Demander une visite

Inscriptions semblables

Jim Grieve