Nous utilisons des témoins et d’autres technologies pour assurer le fonctionnement et la sécurité de nos services en ligne, et pour vous offrir une expérience personnalisée. En continuant à utiliser nos services en ligne, vous acceptez notre Politique de confidentialité et les conditions d’utilisation. Pour obtenir des informations sur la façon de régler vos paramètres de confidentialité, veuillez consulter notre Politique sur les témoins.
Masquer
Accueil QC Sainte-Thècle
Ch. de l'Orignal
Directions Imprimer
Ch. de l'Orignal 195 000 $ + TPS + TVQ
Depuis 4 jours
195 000 $ + TPS + TVQ
Masquer
Favoris

Ch. de l'Orignal
Sainte-Thècle, Québec G0X3G0

Numéro MLS® : 21143821

Description de l’inscription

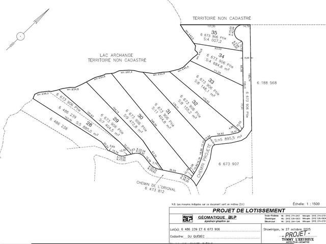
** VOIR LA VIDÉO **# 34 ** MAGNIFIQUE TERRAIN BORDÉ PAR LE LAC ARCHANGE ** Tombez sous le charme de ce terrain incroyable prêt à accueillir votre future construction! Un des plus beaux du développement! Ces terrains sont situés en bordure du lac Archange à la limite de Sainte-Thècle et de Grandes-Piles, dans la MRC Mékinac, en Mauricie. Plus d'une dizaine de terrains disponibles, rue privée qui vous assure un maximum de quiétude. C'est un rendez-vous avec la nature ! À environ 5 km du village. Voir vidéo aérienne en lien sur cette fiche! TPS/TVQ doivent être ajoutées au prix demandé (50318325)

Résumé de la propriété

Type de propriété
Terrain vacant
Superficie du terrain
4684.8 m2
Sur REALTOR.ca depuis
4 jours

Édifice

Caractéristiques du bâtiment
Caractéristiques
En pente, Terrain plat
Services publics
Égouts
Pas de réseau d'égouts

Terrain

Caractéristiques du terrain
Vue
Vue sur la montagne, Vue ( panoramique )
Autres informations sur la propriété
Type de Zonage
Résidentiel
Caractéristiques de la ferme
Type de ferme
Autre
Caractéristiques du bord de l'eau
Bord de l'eau
Bord de l'eau
Nom du secteur riverain
Lac Archange
Souhaitez-vous visiter cette propriété?
Demander une visite

Inscriptions semblables

Emmanuelle Bruneau