Nous utilisons des témoins et d’autres technologies pour assurer le fonctionnement et la sécurité de nos services en ligne, et pour vous offrir une expérience personnalisée. En continuant à utiliser nos services en ligne, vous acceptez notre Politique de confidentialité et les conditions d’utilisation. Pour obtenir des informations sur la façon de régler vos paramètres de confidentialité, veuillez consulter notre Politique sur les témoins.
Masquer
Accueil ON District de Parry Sound Strong
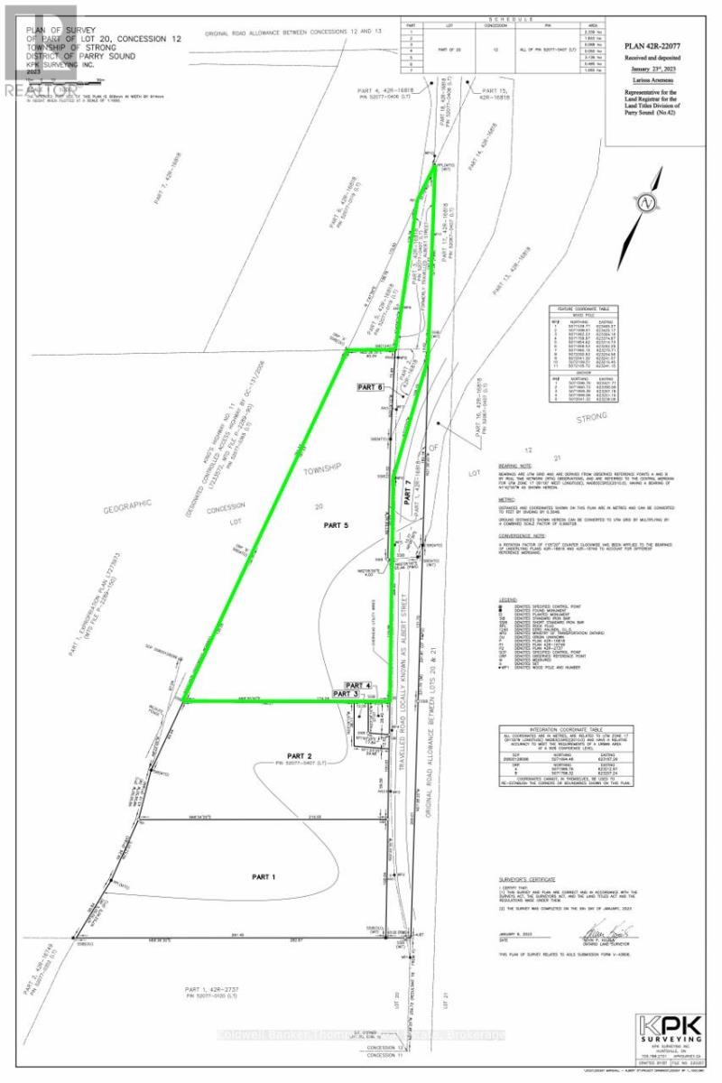
522 ALBERT STREET N
Directions Imprimer
522 ALBERT STREET N 119 000 $
119 000 $
Masquer
Favoris

522 ALBERT STREET N
Strong, Ontario P0A1Z0

Numéro MLS® : X12612742
0
Salles de bain
-
Pieds carrés

Résumé de la propriété

Type de propriété
Terrain vacant
Superficie du terrain
970 x 132 FT ; Lot size irregular|5 - 9,99 acres
Impôt foncier annuel
0 $
Nombre total d'espaces de stationnement
4
Sur REALTOR.ca depuis
80 jours

Édifice

Salles de bain
Total
0
Caractéristiques du bâtiment
Caractéristiques
Zone boisée, Terrain irrégulier
Services publics
Services publics disponibles
Sans fil (Disponible)
Stationnement
Nombre total d'espaces de stationnement
4

Terrain

Caractéristiques du terrain
Façade
970 pi
Superficie du terrain
132 pi
Autres informations sur la propriété
Accès
Accès toute l'année
Servitudes
Protection de l'environnement
Données fournies par : OnePoint - The Lakelands
Souhaitez-vous visiter cette propriété?
Demander une visite

Inscriptions semblables

NEIL GUTJAHR