Nous utilisons des témoins et d’autres technologies pour assurer le fonctionnement et la sécurité de nos services en ligne, et pour vous offrir une expérience personnalisée. En continuant à utiliser nos services en ligne, vous acceptez notre Politique de confidentialité et les conditions d’utilisation. Pour obtenir des informations sur la façon de régler vos paramètres de confidentialité, veuillez consulter notre Politique sur les témoins.
Masquer
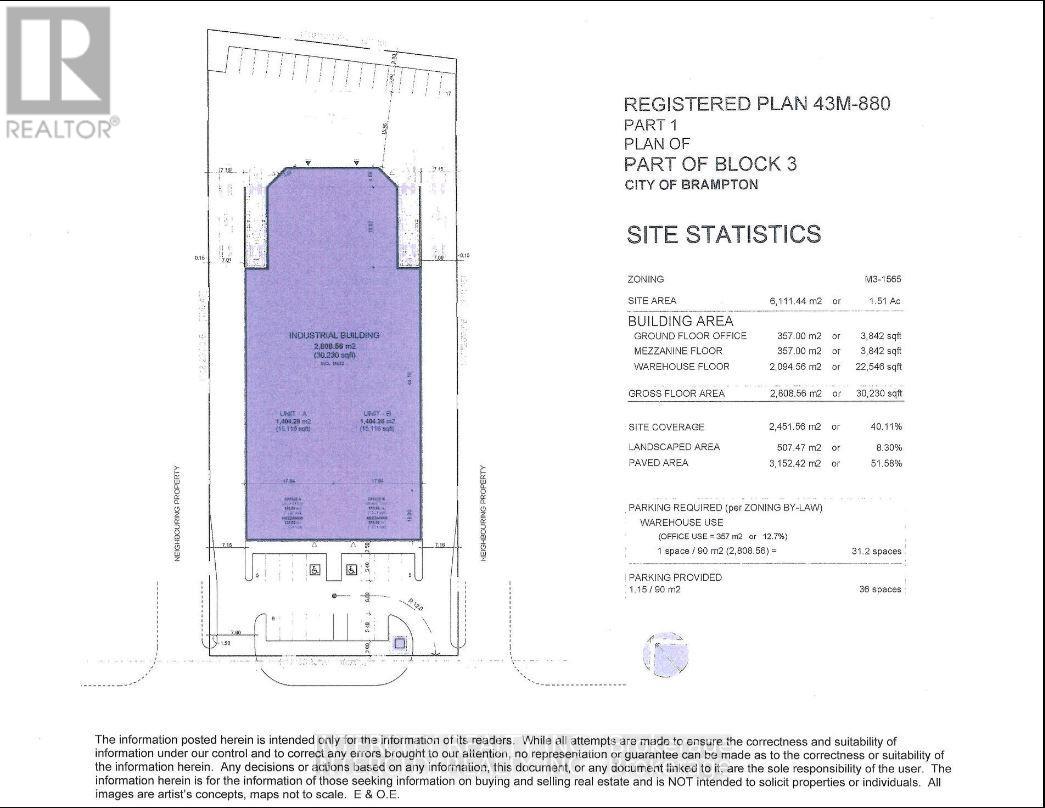
Accueil ON Grand Toronto Région de Peel Brampton Gore Industrial South
0 DEERHURST DRIVE
Directions Imprimer
Plus de photos + 1
0 DEERHURST DRIVE 1 $/pieds carrés
1 $/pieds carrés
Masquer
Favoris

0 DEERHURST DRIVE
Brampton (Gore Industrial South), Ontario L6T5K3

Numéro MLS® : W12602412

Résumé de la propriété

Type de propriété
Industriel
Superficie du terrain
164.23 x 391.07 FT
Âge de l'édifice
Bâtiment neuf
Impôt foncier annuel
0 $
Sur REALTOR.ca depuis
16 jours

Édifice

Chauffage et refroidissement
Système de refroidissement
Partiellement climatisé
Type de chauffage
Air pulsé (Gaz naturel)
Services publics
Eau
Approvisionnement en eau par la municipalité

Mesures

Superficie
30230 pi2

Terrain

Caractéristiques du terrain
Façade
164 pi 2 po
Superficie du terrain
391 pi
Autres informations sur la propriété
Type de bail
Net
Caractéristiques de la ferme
Type de ferme
Autre
Données fournies par : Toronto Regional Real Estate Board
Souhaitez-vous visiter cette propriété?
Demander une visite

LOU GROSSI