Nous utilisons des témoins et d’autres technologies pour assurer le fonctionnement et la sécurité de nos services en ligne, et pour vous offrir une expérience personnalisée. En continuant à utiliser nos services en ligne, vous acceptez notre Politique de confidentialité et les conditions d’utilisation. Pour obtenir des informations sur la façon de régler vos paramètres de confidentialité, veuillez consulter notre Politique sur les témoins.
Masquer
Accueil BC Grand Prince George Fraser-Fort George Salmon River-Lakes
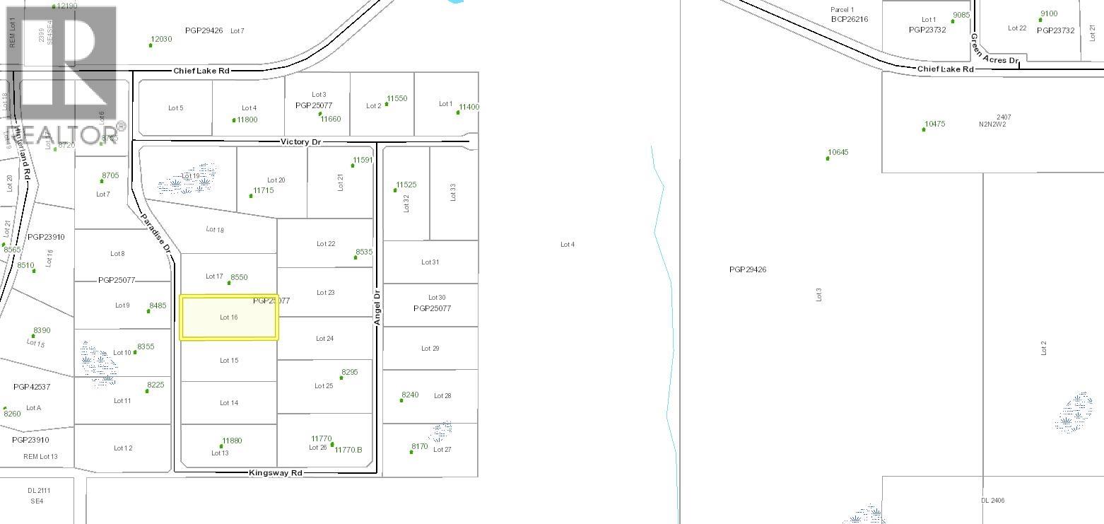
LOT 16 PARADISE ROAD
Directions Imprimer
Plus de photos + 2
LOT 16 PARADISE ROAD 114 900 $
114 900 $
Masquer
Favoris

LOT 16 PARADISE ROAD
Prince George, Colombie-Britannique V2K5J6

Numéro MLS® : R3070743

Résumé de la propriété

Type de propriété
Terrain vacant
Titre
Tenure franche
Superficie du terrain
4 a
Impôt foncier annuel
305,33 $
Sur REALTOR.ca depuis
92 jours

Édifice

Caractéristiques du bâtiment
Style
Inconnu
Services publics
Eau
Puits foré à la sondeuse
Données fournies par : BC Northern Real Estate Board
Souhaitez-vous visiter cette propriété?
Demander une visite

Inscriptions semblables

Carrie Nicholson