Nous utilisons des témoins et d’autres technologies pour assurer le fonctionnement et la sécurité de nos services en ligne, et pour vous offrir une expérience personnalisée. En continuant à utiliser nos services en ligne, vous acceptez notre Politique de confidentialité et les conditions d’utilisation. Pour obtenir des informations sur la façon de régler vos paramètres de confidentialité, veuillez consulter notre Politique sur les témoins.
Masquer
Accueil AB Division No. 5 Standard
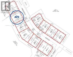
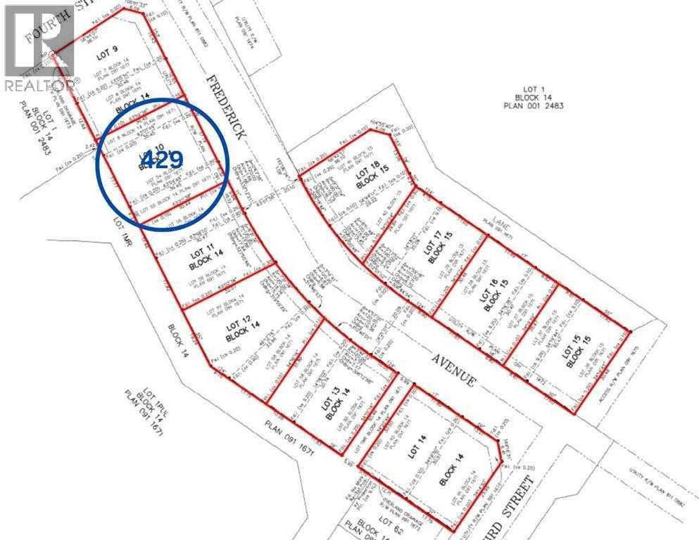
429 Frederick Avenue
Directions Imprimer
429 Frederick Avenue 34 900 $
34 900 $
Masquer
Favoris

429 Frederick Avenue
Standard, Alberta T0J3G0

Numéro MLS® : A2272566

Résumé de la propriété

Type de propriété
Terrain vacant
Titre
Tenure franche
Superficie du terrain
9596 pi2|7 251 - 10 889 pi2
Âge de l'édifice
Âge inconnu
Impôt foncier annuel
0 $
Sur REALTOR.ca depuis
17 jours

Terrain

Caractéristiques du terrain
Clôture
Non clôturé
Façade
29.29 m
Superficie du terrain
30.45 m
Données fournies par : Pillar 9™
Souhaitez-vous visiter cette propriété?
Demander une visite

Inscriptions semblables

Harry Morgan