Nous utilisons des témoins et d’autres technologies pour assurer le fonctionnement et la sécurité de nos services en ligne, et pour vous offrir une expérience personnalisée. En continuant à utiliser nos services en ligne, vous acceptez notre Politique de confidentialité et les conditions d’utilisation. Pour obtenir des informations sur la façon de régler vos paramètres de confidentialité, veuillez consulter notre Politique sur les témoins.
Masquer
Accueil ON Comté de Simcoe Essa
6987 COUNTY RD 10
Directions Imprimer
Plus de photos + 1
6987 COUNTY RD 10 299 000 $
299 000 $
Masquer
Favoris

6987 COUNTY RD 10
Essa, Ontario L3W0T5

Numéro MLS® : 40789508

Résumé de la propriété

Type de propriété
Terrain vacant
Titre
Tenure franche
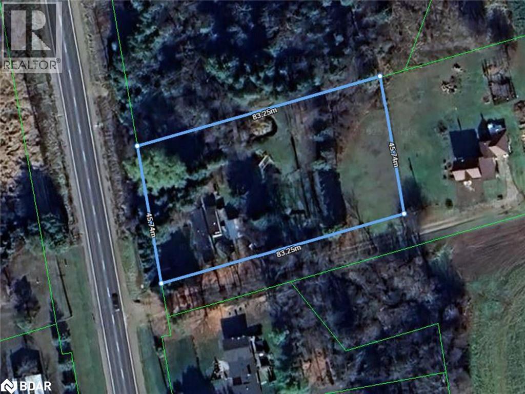
Superficie du terrain
0.936 a|1/2 - 1,99 acre
Impôt foncier annuel
1 904 $
Sur REALTOR.ca depuis
24 jours

Édifice

Caractéristiques intérieures
Type de sous-sol
Pas de sous-sol
Caractéristiques du bâtiment
Caractéristiques
Résidentiel campagne
Entreposage
Réservoir de stockage
Unités totales
0
Services publics
Égouts
Réservoir de stockage
Eau
Puits

Terrain

Caractéristiques du terrain
Façade
150 pi
Superficie du terrain
273 pi
Souhaitez-vous visiter cette propriété?
Demander une visite

Inscriptions semblables

Peggy Hill