Nous utilisons des témoins et d’autres technologies pour assurer le fonctionnement et la sécurité de nos services en ligne, et pour vous offrir une expérience personnalisée. En continuant à utiliser nos services en ligne, vous acceptez notre Politique de confidentialité et les conditions d’utilisation. Pour obtenir des informations sur la façon de régler vos paramètres de confidentialité, veuillez consulter notre Politique sur les témoins.
Masquer
Accueil BC Grand Vancouver Greater Vancouver Township of Langley Brookswood - Fernridge
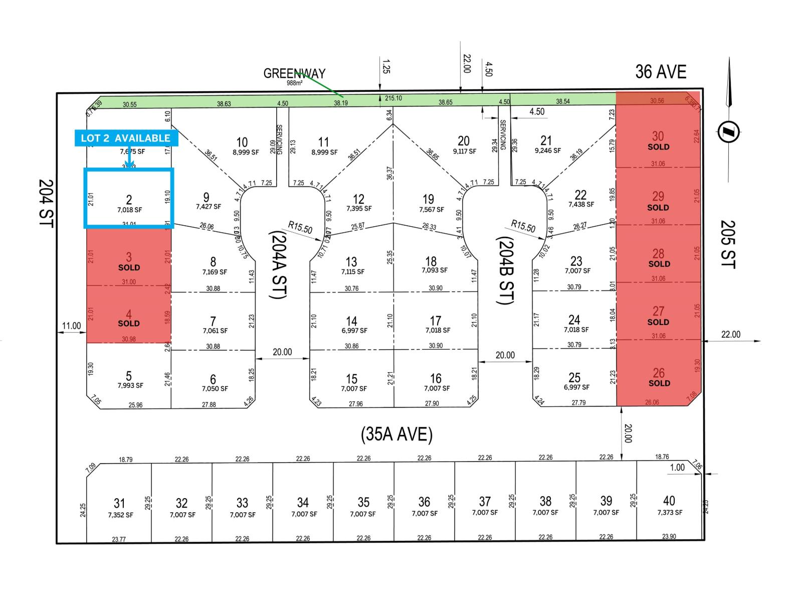
3578 204 STREET
Directions Imprimer
3578 204 STREET 995 000 $
995 000 $
Masquer
Favoris

3578 204 STREET
Langley, Colombie-Britannique V3A4Y2

Numéro MLS® : R3067299

Résumé de la propriété

Type de propriété
Terrain vacant
Titre
Tenure franche
Superficie du terrain
7018 pi2
Impôt foncier annuel
3 620,37 $
Sur REALTOR.ca depuis
64 jours
Données fournies par : Fraser Valley Real Estate Board
Souhaitez-vous visiter cette propriété?
Demander une visite

Inscriptions semblables

Joe Varing