Nous utilisons des témoins et d’autres technologies pour assurer le fonctionnement et la sécurité de nos services en ligne, et pour vous offrir une expérience personnalisée. En continuant à utiliser nos services en ligne, vous acceptez notre Politique de confidentialité et les conditions d’utilisation. Pour obtenir des informations sur la façon de régler vos paramètres de confidentialité, veuillez consulter notre Politique sur les témoins.
Masquer
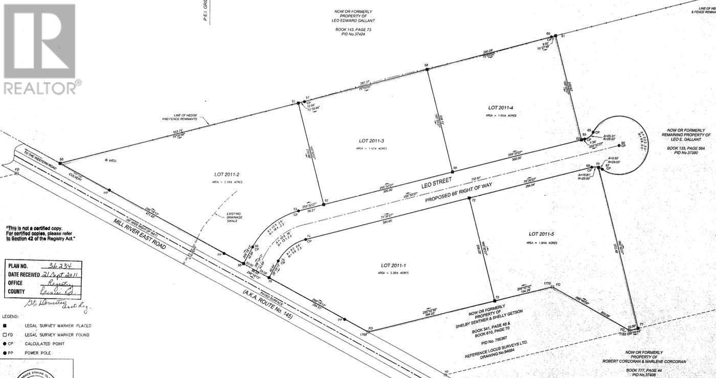
Accueil PE Comté de Prince Lot 5
LOT 2011-2 MILL RIVER Road
Directions Imprimer
LOT 2011-2 MILL RIVER Road 150 000 $
150 000 $
Masquer
Favoris

LOT 2011-2 MILL RIVER Road
Bloomfield Corner, Île-du-Prince-Édouard C0B1E0

Numéro MLS® : 202527746

Résumé de la propriété

Type de propriété
Terrain vacant
Titre
Tenure franche
Superficie du terrain
2.2 a|1 - 3 acres
Sur REALTOR.ca depuis
107 jours

Édifice

Caractéristiques du bâtiment
Caractéristiques
Terrain plat
Services publics
Égouts
Pas de réseau d'égouts
Eau
Puits foré à la sondeuse

Terrain

Caractéristiques du terrain
Aliénation des terrains
Déboisé
Autres informations sur la propriété
Accès
Accès toute l'année
Servitudes
Aucune
Souhaitez-vous visiter cette propriété?
Demander une visite

Inscriptions semblables

Mary Jo Stolk