Nous utilisons des témoins et d’autres technologies pour assurer le fonctionnement et la sécurité de nos services en ligne, et pour vous offrir une expérience personnalisée. En continuant à utiliser nos services en ligne, vous acceptez notre Politique de confidentialité et les conditions d’utilisation. Pour obtenir des informations sur la façon de régler vos paramètres de confidentialité, veuillez consulter notre Politique sur les témoins.
Masquer
Accueil AB Division No. 8 Blackfalds
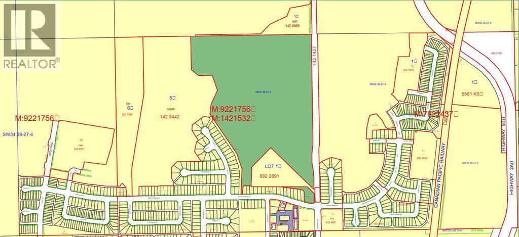
0 Broadway Avenue
Directions Imprimer
0 Broadway Avenue 2 600 000 $
2 600 000 $
Masquer
Favoris

0 Broadway Avenue
Blackfalds, Alberta T0M0J2

Numéro MLS® : A2270186

Résumé de la propriété

Type de propriété
Terrain vacant
Titre
Tenure franche
Superficie du terrain
53.75 a|50 - 79 acres
Âge de l'édifice
Âge inconnu
Impôt foncier annuel
15 461,16 $
Sur REALTOR.ca depuis
107 jours

Terrain

Caractéristiques du terrain
Clôture
Non clôturé
Données fournies par : Pillar 9™
Souhaitez-vous visiter cette propriété?
Demander une visite

Inscriptions semblables

Shawn Hansen