Nous utilisons des témoins et d’autres technologies pour assurer le fonctionnement et la sécurité de nos services en ligne, et pour vous offrir une expérience personnalisée. En continuant à utiliser nos services en ligne, vous acceptez notre Politique de confidentialité et les conditions d’utilisation. Pour obtenir des informations sur la façon de régler vos paramètres de confidentialité, veuillez consulter notre Politique sur les témoins.
Masquer
Accueil ON Comté de Frontenac Central Frontenac
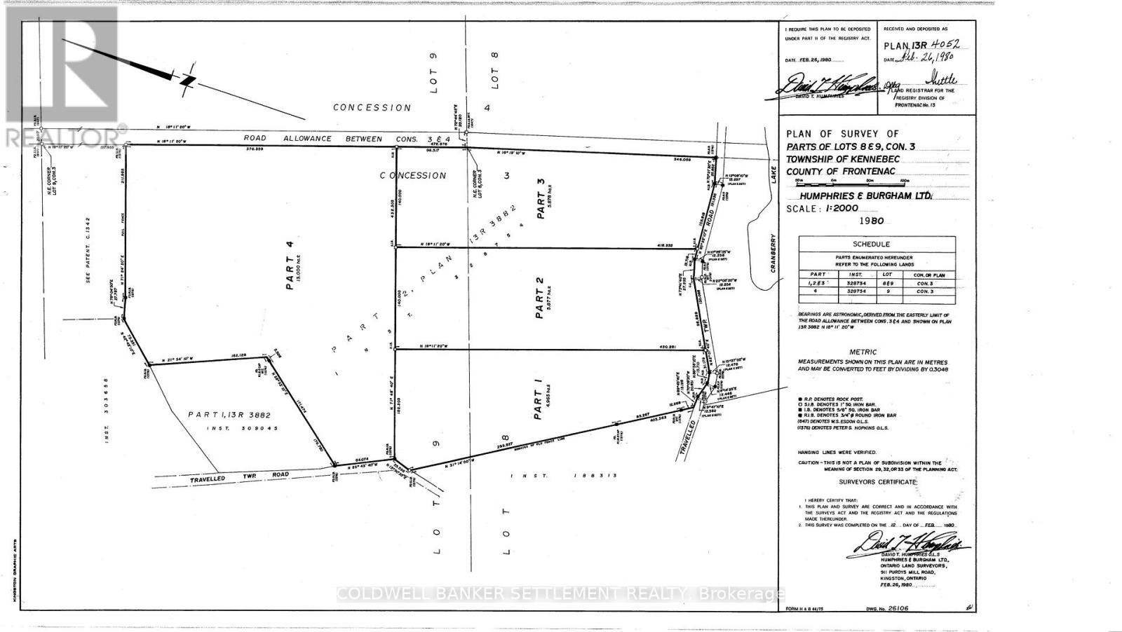
0 CRANBERRY LAKE ROAD
Directions Imprimer
0 CRANBERRY LAKE ROAD 47 900 $
47 900 $
Masquer
Favoris

0 CRANBERRY LAKE ROAD
Frontenac (Frontenac Centre), Ontario K0H0B6

Numéro MLS® : X12503054
0
Salles de bain
-
Pieds carrés

Résumé de la propriété

Type de propriété
Terrain vacant
Superficie du terrain
265 x 1322 FT|10 - 24,99 acres
Impôt foncier annuel
309,95 $
Sur REALTOR.ca depuis
40 jours

Édifice

Salles de bain
Total
0
Services publics
Services publics disponibles
Électricité (Disponible)

Terrain

Caractéristiques du terrain
Façade
265 pi
Superficie du terrain
1322 pi
Données fournies par : Rideau - St. Lawrence Real Estate Board
Souhaitez-vous visiter cette propriété?
Demander une visite

Inscriptions semblables

Dennis Larocque