Nous utilisons des témoins et d’autres technologies pour assurer le fonctionnement et la sécurité de nos services en ligne, et pour vous offrir une expérience personnalisée. En continuant à utiliser nos services en ligne, vous acceptez notre Politique de confidentialité et les conditions d’utilisation. Pour obtenir des informations sur la façon de régler vos paramètres de confidentialité, veuillez consulter notre Politique sur les témoins.
Masquer
Accueil QC Les Pays-d'en-Haut Saint-Adolphe-d'Howard
Ch. Wildwood
Directions Imprimer
Ch. Wildwood 149 000 $
149 000 $
Masquer
Favoris

Ch. Wildwood
Saint-Adolphe-d'Howard, Québec J0T2B0

Numéro MLS® : 27331618

Description de l’inscription

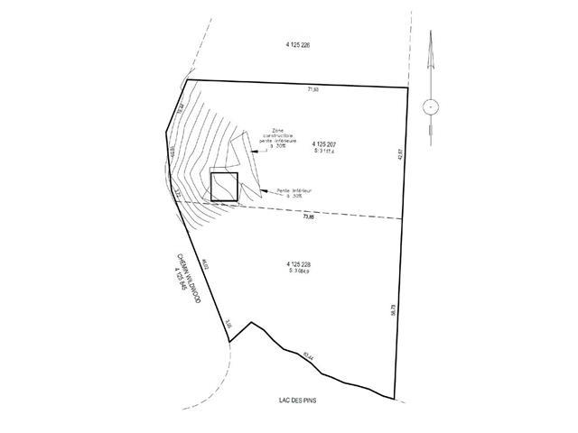
Dans un cadre paisible et naturel, deux terrains totalisant 6 202,30 m² sont disponibles sur le chemin Wildwood avec 200 pieds au bord du lac des Pins, à St-Adolphe-d'Howard. L'un d'eux est constructible et offre une vue sur l'eau, étant à proximité d'un lac avec droit d'accès. Parfait pour s'y bâtir et se réfugier en pleine nature. Une occasion unique dans un très beau secteur des Laurentides! (56387579)

Résumé de la propriété

Type de propriété
Terrain vacant
Superficie du terrain
6202.3 m2
Sur REALTOR.ca depuis
43 jours

Édifice

Caractéristiques du bâtiment
Caractéristiques
En pente
Services publics
Égouts
Pas de réseau d'égouts
Caractéristiques du quartier
Commodités à proximité
Parc, Écoles, Centre de ski

Terrain

Caractéristiques du terrain
Façade
90.28 m
Vue
Vue sur l'eau, Vue sur la montagne
Autres informations sur la propriété
Type de Zonage
Mixte
Caractéristiques de la ferme
Type de ferme
Autre
Caractéristiques du bord de l'eau
Bord de l'eau
Bord de l'eau
Nom du secteur riverain
Lac des Pins
Souhaitez-vous visiter cette propriété?
Demander une visite

Inscriptions semblables

Frédéric Fortier