Nous utilisons des témoins et d’autres technologies pour assurer le fonctionnement et la sécurité de nos services en ligne, et pour vous offrir une expérience personnalisée. En continuant à utiliser nos services en ligne, vous acceptez notre Politique de confidentialité et les conditions d’utilisation. Pour obtenir des informations sur la façon de régler vos paramètres de confidentialité, veuillez consulter notre Politique sur les témoins.
Masquer
Accueil ON District de Nipissing Nipissing Ouest
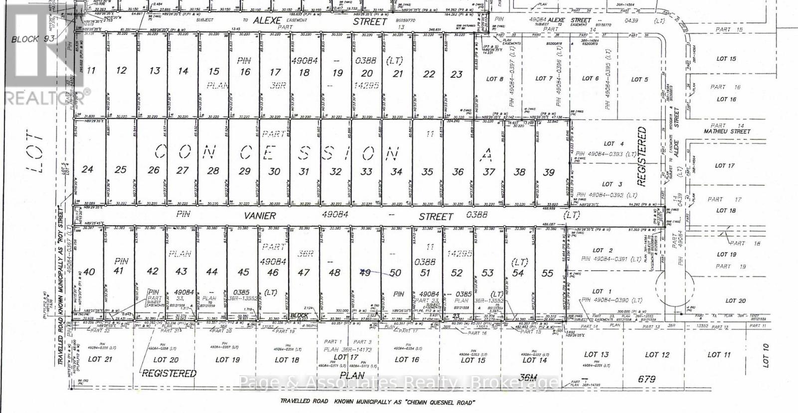
42 VANNIER STREET
Directions Imprimer
42 VANNIER STREET 99 900 $
99 900 $
Masquer
Favoris

42 VANNIER STREET
West Nipissing (Sturgeon Falls), Ontario P2B0C8

Numéro MLS® : X12489828
0
Salles de bain
-
Pieds carrés

Résumé de la propriété

Type de propriété
Terrain vacant
Superficie du terrain
99.23 x 306.15 FT|1/2 - 1,99 acre
Impôt foncier annuel
579,35 $
Sur REALTOR.ca depuis
44 jours

Édifice

Salles de bain
Total
0
Services publics
Services publics disponibles
Service du câble (Disponible), Électricité (Disponible), Service d'égout (Disponible)
Égouts
Égout sanitaire
Eau
Approvisionnement en eau par la municipalité

Terrain

Caractéristiques du terrain
Façade
99 pi 2 po
Superficie du terrain
306 pi 1 po
Autres informations sur la propriété
Accès
Accès toute l'année
Servitudes
Autre, Servitude, Clauses restrictives d'un projet résidentiel
Données fournies par : North Bay Real Estate Board
Souhaitez-vous visiter cette propriété?
Demander une visite

Inscriptions semblables

MICHAEL PAGE