Nous utilisons des témoins et d’autres technologies pour assurer le fonctionnement et la sécurité de nos services en ligne, et pour vous offrir une expérience personnalisée. En continuant à utiliser nos services en ligne, vous acceptez notre Politique de confidentialité et les conditions d’utilisation. Pour obtenir des informations sur la façon de régler vos paramètres de confidentialité, veuillez consulter notre Politique sur les témoins.
Masquer
Accueil QC Les Laurentides Val-David
2283Z Rue Deschamps
Directions Imprimer
2283Z Rue Deschamps 450 000 $
450 000 $
Masquer
Favoris

2283Z Rue Deschamps
Val-David, Québec J0T2N0

Numéro MLS® : 15743902

Description de l’inscription

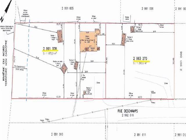
Emplacement et potentiel très intéressant. Dont un lot avec une façade de 100 pieds sur le bord de la rivière du nord, desservi par l'aqueduc et les égouts de la municipalité, inclus 2 lots cadastrés séparément permettant deux constructions, Zonage H-26, unifamilial ou jumelé ou bi familiaux. Terrain plat d'un total de 35 137 Pieds carrée au bout d'une rue privé et sans issue. À noter que le chalet à seulement une fondation de bois et la partie original est en pièces sur pièces, pour rénovation majeure ou à démolir pour le terrain. À distance de marche du village, du parc linéaire et régional, pour activité de vélo, ski de fonds et alpin etc. (44743357)

Résumé de la propriété

Type de propriété
Terrain vacant
Superficie du terrain
3265.5 m2
Sur REALTOR.ca depuis
59 jours

Édifice

Caractéristiques du bâtiment
Caractéristiques
Cul-de-sac, Terrain plat
Services publics
Égouts
Égout municipal
Eau
Approvisionnement en eau par la municipalité
Caractéristiques du quartier
Commodités à proximité
Autoroute, Parc, Écoles, Centre de ski, Transport en commun

Terrain

Caractéristiques du terrain
Façade
108.81 m
Autres informations sur la propriété
Type de Zonage
Résidentiel
Caractéristiques de la ferme
Type de ferme
Autre
Caractéristiques du bord de l'eau
Bord de l'eau
Bord de l'eau
Nom du secteur riverain
riviere du nord
Souhaitez-vous visiter cette propriété?
Demander une visite

Inscriptions semblables

Etienne Savard