Nous utilisons des témoins et d’autres technologies pour assurer le fonctionnement et la sécurité de nos services en ligne, et pour vous offrir une expérience personnalisée. En continuant à utiliser nos services en ligne, vous acceptez notre Politique de confidentialité et les conditions d’utilisation. Pour obtenir des informations sur la façon de régler vos paramètres de confidentialité, veuillez consulter notre Politique sur les témoins.
Masquer
Accueil QC Grand Montréal Montréal LaSalle Parc Lefebvre
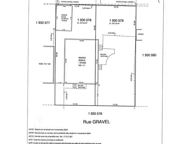
111Z Rue Gravel
Directions Imprimer
111Z Rue Gravel 331 500 $
Modification du prix le 2025/11/26
331 500 $
-17 500 $
349 000 $
Masquer
Favoris

111Z Rue Gravel
Montréal (LaSalle), Québec H8R1X4

Numéro MLS® : 12624927

Description de l’inscription

Doit être vendu avec MLS# 17739884.Superbe terrain offrant une occasion unique! Un terrain de 7999pi², actuellement regroupé mais composé de 2 lots distincts de 3999pi² chacun. Une fois la maison existante démolie sur le lots 1930578, vous disposerez de 2 terrains distincts pour réaliser vos projets. Les possibilités sont multiples: construire sur chacun des terrain une maison unifamiliale isolée, ou encore bâtir un vaste duplex avec bachelor, ou un triplex avec bachelor. Une véritable perle rare offrant flexibilité, valeur et un potentiel remarquable. À saisir sans tarder!Zonage résidentiel H08-19.La valeur municipale est pour les 2terrains (41595846)

Résumé de la propriété

Type de propriété
Terrain vacant
Superficie du terrain
371.55 m2
Sur REALTOR.ca depuis
64 jours

Édifice

Caractéristiques du bâtiment
Caractéristiques
Terrain plat
Services publics
Égouts
Égout municipal
Eau
Approvisionnement en eau par la municipalité
Caractéristiques du quartier
Commodités à proximité
Autoroute, Un cégep, Un hôpital, Écoles, Transport en commun

Terrain

Caractéristiques du terrain
Façade
12.19 m
Autres informations sur la propriété
Type de Zonage
Résidentiel
Caractéristiques de la ferme
Type de ferme
Autre
Souhaitez-vous visiter cette propriété?
Demander une visite

Inscriptions semblables

Carlo Menniti