Nous utilisons des témoins et d’autres technologies pour assurer le fonctionnement et la sécurité de nos services en ligne, et pour vous offrir une expérience personnalisée. En continuant à utiliser nos services en ligne, vous acceptez notre Politique de confidentialité et les conditions d’utilisation. Pour obtenir des informations sur la façon de régler vos paramètres de confidentialité, veuillez consulter notre Politique sur les témoins.
Masquer
Accueil QC Kamouraska Saint-Gabriel-Lalemant
Place Albert
Directions Imprimer
Place Albert 49 700 $ + TPS + TVQ
49 700 $ + TPS + TVQ
Masquer
Favoris

Place Albert
Saint-Gabriel-Lalemant, Québec G0L3E0

Numéro MLS® : 24984367

Description de l’inscription

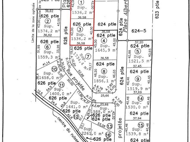
Découvrez ce magnifique terrain de plus de 30 000 pi², situé dans le plus beau quartier du village. Un environnement paisible, familial et verdoyant, parfait pour bâtir la maison de vos rêves. Aucune restriction de temps pour construire -- laissez libre cours à vos projets, à votre rythme. Un cadre de vie idéal pour ceux qui recherchent le calme, la nature et la qualité de vie. TPS/TVQ doivent être ajoutées au prix demandé (53952416)

Résumé de la propriété

Type de propriété
Terrain vacant
Superficie du terrain
3072.7 m2
Sur REALTOR.ca depuis
142 jours

Édifice

Caractéristiques du bâtiment
Caractéristiques
Terrain plat
Services publics
Égouts
Pas de réseau d'égouts
Caractéristiques du quartier
Commodités à proximité
Terrain de golf, Écoles

Terrain

Caractéristiques du terrain
Façade
36.58 m
Autres informations sur la propriété
Type de Zonage
Résidentiel
Caractéristiques de la ferme
Type de ferme
Autre
Souhaitez-vous visiter cette propriété?
Demander une visite

Inscriptions semblables

Sébastien Demers