Nous utilisons des témoins et d’autres technologies pour assurer le fonctionnement et la sécurité de nos services en ligne, et pour vous offrir une expérience personnalisée. En continuant à utiliser nos services en ligne, vous acceptez notre Politique de confidentialité et les conditions d’utilisation. Pour obtenir des informations sur la façon de régler vos paramètres de confidentialité, veuillez consulter notre Politique sur les témoins.
Masquer
Accueil MB Division No. 2 La Broquerie
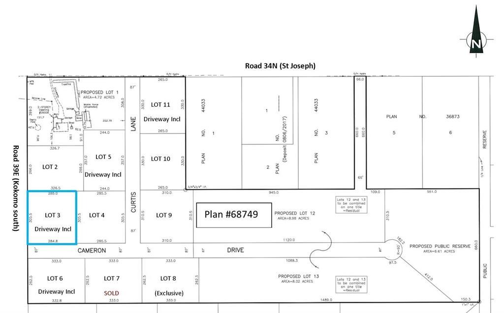
0 Cameron Drive
Directions Imprimer
Plus de photos + 1
0 Cameron Drive 87 400 $
87 400 $
Masquer
Favoris

0 Cameron Drive
La Broquerie, Manitoba R0A0W2

Numéro MLS® : 202525861
0
Salles de bain
-
Pieds carrés

Résumé de la propriété

Type de propriété
Terrain vacant
Type de bâtiment
Aucun bâtiment
Titre
Tenure franche
Superficie du terrain
2 a|2 - 4,99 acres
Impôt foncier annuel
0 $
Sur REALTOR.ca depuis
70 jours

Édifice

Salles de bain
Total
0
Partielle
0
Services publics
Eau
Approvisionnement en eau par la municipalité

Terrain

Caractéristiques du terrain
Façade
284 pi
Superficie du terrain
305 pi
Données fournies par : Winnipeg Regional Real Estate Board
Souhaitez-vous visiter cette propriété?
Demander une visite

Inscriptions semblables

Teri Klippenstein