Nous utilisons des témoins et d’autres technologies pour assurer le fonctionnement et la sécurité de nos services en ligne, et pour vous offrir une expérience personnalisée. En continuant à utiliser nos services en ligne, vous acceptez notre Politique de confidentialité et les conditions d’utilisation. Pour obtenir des informations sur la façon de régler vos paramètres de confidentialité, veuillez consulter notre Politique sur les témoins.
Masquer
Accueil QC Grand Rivière-du-Loup Rivière-du-Loup Cacouna
Rue Beaulieu
Directions Imprimer
Rue Beaulieu 59 000 $ + TPS + TVQ
59 000 $ + TPS + TVQ
Masquer
Favoris

Rue Beaulieu
Cacouna, Québec G0L1G0

Numéro MLS® : 21807559

Description de l’inscription

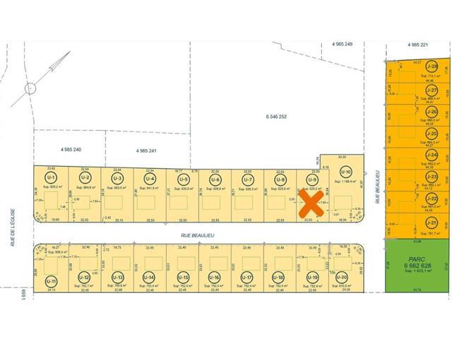
Nouveau développement à Cacouna, un village pittoresque du Québec situé à 10 minutes de Rivière-du-Loup. Services d'aqueduc et d'égoûts. Belle vue sur les champs environnants. Premier arrivé premier servi. Terrain U9. TPS/TVQ doivent être ajoutées au prix demandé (50733500)

Résumé de la propriété

Type de propriété
Terrain vacant
Superficie du terrain
825.2 m2
Sur REALTOR.ca depuis
151 jours

Édifice

Services publics
Égouts
Égout municipal
Eau
Approvisionnement en eau par la municipalité

Terrain

Caractéristiques du terrain
Façade
22.53 m
Autres informations sur la propriété
Type de Zonage
Résidentiel
Caractéristiques de la ferme
Type de ferme
Autre
Souhaitez-vous visiter cette propriété?
Demander une visite

Inscriptions semblables

Jonathan Pelletier