Nous utilisons des témoins et d’autres technologies pour assurer le fonctionnement et la sécurité de nos services en ligne, et pour vous offrir une expérience personnalisée. En continuant à utiliser nos services en ligne, vous acceptez notre Politique de confidentialité et les conditions d’utilisation. Pour obtenir des informations sur la façon de régler vos paramètres de confidentialité, veuillez consulter notre Politique sur les témoins.
Masquer
Accueil NS Comté de Kings Kings Subdivision A
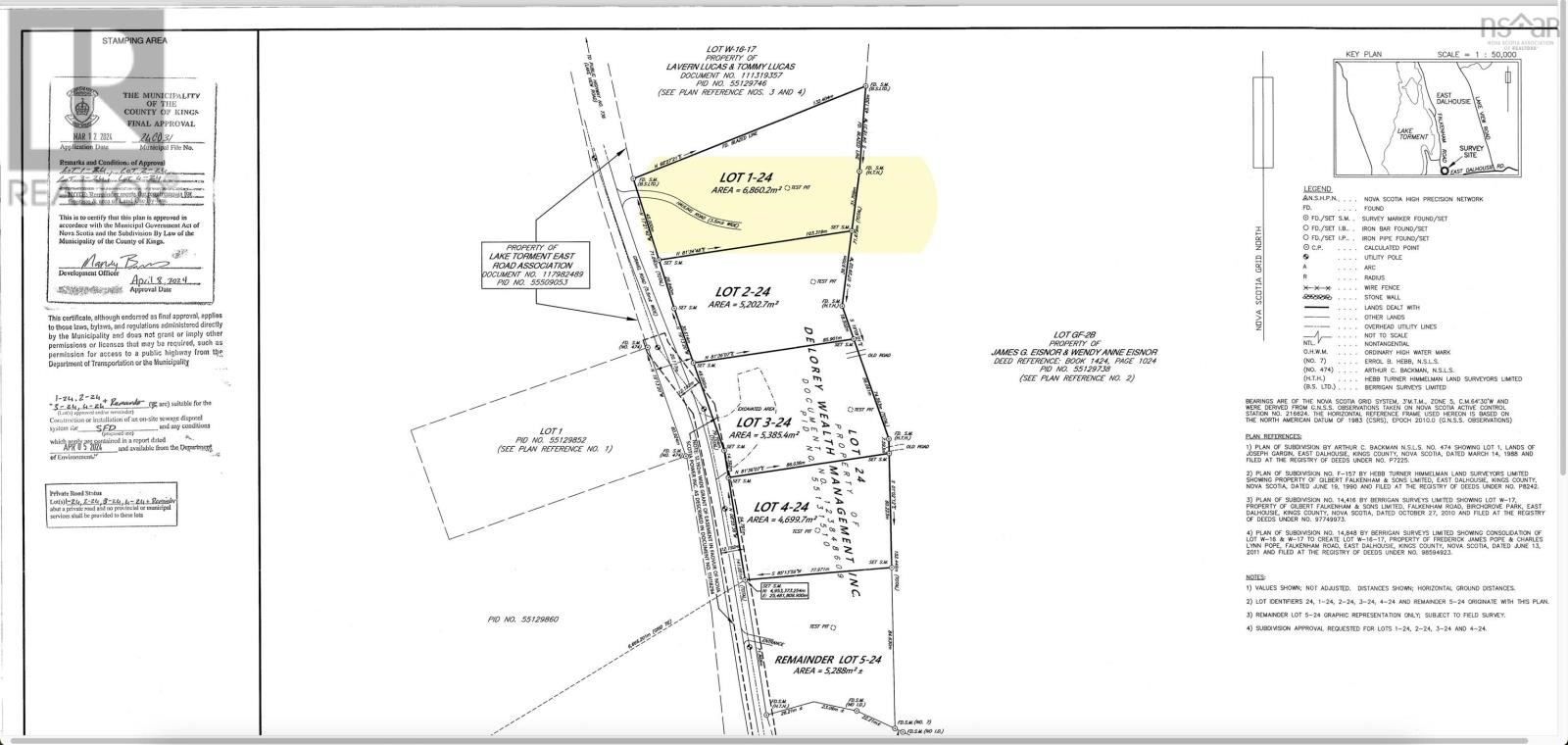
Lot 1-24 Falkenham Road
Directions Imprimer
Plus de photos + 2
Lot 1-24 Falkenham Road 34 500 $
34 500 $
Masquer
Favoris

Lot 1-24 Falkenham Road
East Dalhousie, Nouvelle-Écosse B0H1H0

Numéro MLS® : 202523641

Résumé de la propriété

Type de propriété
Terrain vacant
Titre
Tenure franche
Superficie du terrain
1.6958 a
Type de stationnement
Autre
Sur REALTOR.ca depuis
85 jours

Édifice

Caractéristiques du bâtiment
Caractéristiques
Partiellement dégagé
Services publics
Égouts
Pas de réseau d'égouts
Eau
Aucun
Stationnement
Type de stationnement
Autre
Données fournies par : Nova Scotia Association of REALTORS®
Souhaitez-vous visiter cette propriété?
Demander une visite

Inscriptions semblables

Tammy Hines