Nous utilisons des témoins et d’autres technologies pour assurer le fonctionnement et la sécurité de nos services en ligne, et pour vous offrir une expérience personnalisée. En continuant à utiliser nos services en ligne, vous acceptez notre Politique de confidentialité et les conditions d’utilisation. Pour obtenir des informations sur la façon de régler vos paramètres de confidentialité, veuillez consulter notre Politique sur les témoins.
Masquer
Accueil QC Grand Saguenay Le Saguenay-et-son-Fjord Saint-David-de-Falardeau
Rue du Massif
Directions Imprimer
Rue du Massif 1 189 000 $ + TPS + TVQ
1 189 000 $ + TPS + TVQ
Masquer
Favoris

Rue du Massif
Saint-David-de-Falardeau, Québec G0V1C0

Numéro MLS® : 25977046

Description de l’inscription

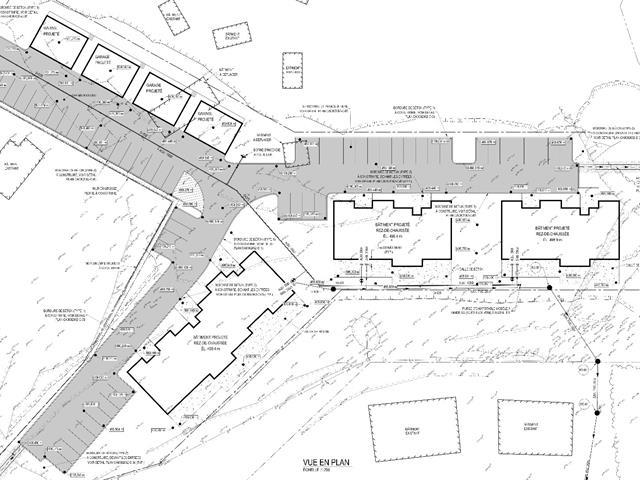
Terrain d'exception de ± 72 057 pi² offrant une vue panoramique sur le Valinouët. Idéalement situé au coeur des Monts Valin, à Saint-David-de-Falardeau, ce site bénéficie d'un emplacement stratégique dans une région prisée pour sa neige 100 % naturelle. Le secteur connaît une croissance notable grâce au développement continu du village alpin. À quelques pas de L'Éternel Spa, le terrain offre un accès privilégié aux installations de relaxation, au restaurant du spa et à plusieurs options de divertissement à proximité. Un projet de 24 unités de condos répartis dans 3 bâtiments est disponible pour ce site. TPS/TVQ doivent être ajoutées au prix demandé (54608881)

Résumé de la propriété

Type de propriété
Terrain vacant
Superficie du terrain
72057 pi2
Sur REALTOR.ca depuis
221 jours

Édifice

Caractéristiques du bâtiment
Caractéristiques
En pente
Services publics
Égouts
Égout municipal
Eau
Approvisionnement en eau par la municipalité

Terrain

Caractéristiques du terrain
Vue
Vue sur la montagne, Vue ( panoramique )
Autres informations sur la propriété
Type de Zonage
Mixte
Caractéristiques de la ferme
Type de ferme
Autre
Souhaitez-vous visiter cette propriété?
Demander une visite

Inscriptions semblables

Yannick Proulx