Nous utilisons des témoins et d’autres technologies pour assurer le fonctionnement et la sécurité de nos services en ligne, et pour vous offrir une expérience personnalisée. En continuant à utiliser nos services en ligne, vous acceptez notre Politique de confidentialité et les conditions d’utilisation. Pour obtenir des informations sur la façon de régler vos paramètres de confidentialité, veuillez consulter notre Politique sur les témoins.
Masquer
Accueil AB Grand Edmonton Division No. 11 Warburg
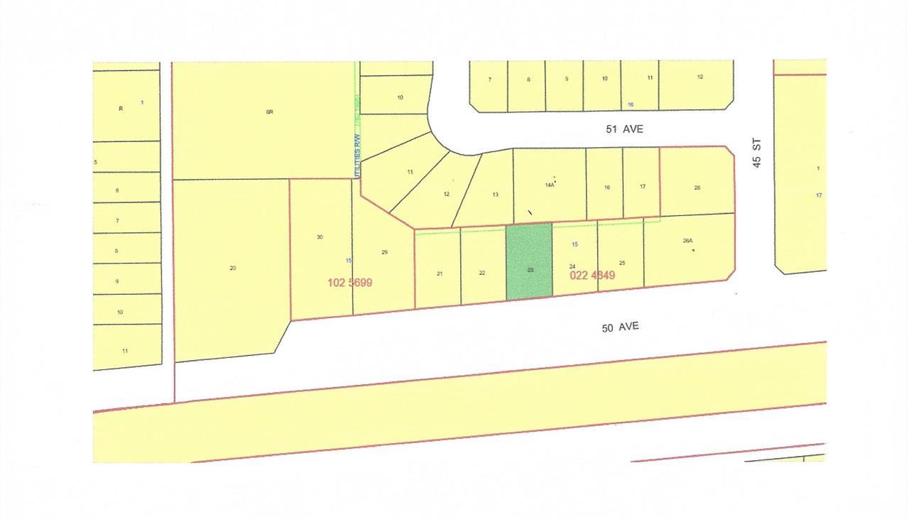
4524 50 AV
Directions Imprimer
Plus de photos + 2
4524 50 AV 40 000 $
40 000 $
Masquer
Favoris

4524 50 AV
Warburg, Alberta T0C2T0

Numéro MLS® : E4437273

Résumé de la propriété

Type de propriété
Terrain vacant
Type de bâtiment
Aucun bâtiment
Titre
Tenure franche
Superficie du terrain
864 m2
Sur REALTOR.ca depuis
210 jours

Description officielle

Plan :- 0224849 Block :- 15 Lot :- 23

Édifice

Caractéristiques du bâtiment
Caractéristiques
Terrain plat
Caractéristiques du quartier
Commodités à proximité
Terrain de jeu, Écoles
Données fournies par : REALTORS® Association of Edmonton
Souhaitez-vous visiter cette propriété?
Demander une visite

Inscriptions semblables

Dawn M. Heisler