Nous utilisons des témoins et d’autres technologies pour assurer le fonctionnement et la sécurité de nos services en ligne, et pour vous offrir une expérience personnalisée. En continuant à utiliser nos services en ligne, vous acceptez notre Politique de confidentialité et les conditions d’utilisation. Pour obtenir des informations sur la façon de régler vos paramètres de confidentialité, veuillez consulter notre Politique sur les témoins.
Masquer
Accueil QC Saint-Jean-sur-Richelieu Le Haut-Richelieu Saint-Luc
Rue Baillargeon
Directions Imprimer
Rue Baillargeon 384 500 $
384 500 $
Masquer
Favoris

Rue Baillargeon
Saint-Jean-sur-Richelieu, Québec J2W2E7

Numéro MLS® : 14387259

Description de l’inscription

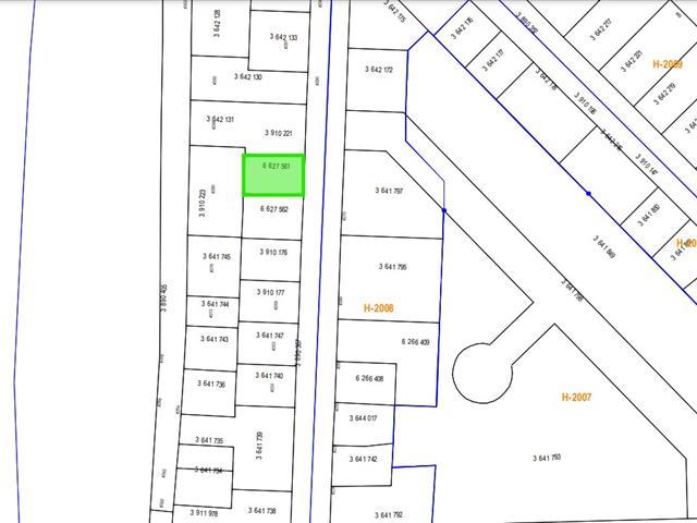
RARETÉ! TERRAIN RÉSIDENTIEL PRÊT À CONSTRUIRE À L'ILE SAINTE-THÉRÈSE! PONCEAU ET ENTRÉE DÉJÀ EN PLACE, SERVICES DANS LA RUE! Construisez la maison de vos rêves dans ce secteur bucolique de Saint-Jean-sur-Richelieu, situé à une rue de la bande du canal. Ce terrain plat vous offre une superficie de 6600 pi2, avec 66 pieds de façade. Possibilité de construire une maison à 1 ou 2 étages (jusqu'à 55p x 55p), avec ou sans sous-sol, et d'y intégrer un LOGEMENT INTERGÉNÉRATIONEL ou un LOGEMENT ACCESSOIRE! À 5 minutes de tous les services et à moins de 10 minutes de l'autoroute 35. Voir la description complète dans l'Addenda de la fiche détaillée. (42576801)

Résumé de la propriété

Type de propriété
Terrain vacant
Quartier
Saint-Luc
Superficie du terrain
6600 pi2
Sur REALTOR.ca depuis
251 jours

Édifice

Caractéristiques du bâtiment
Caractéristiques
Terrain plat
Services publics
Égouts
Égout municipal
Eau
Approvisionnement en eau par la municipalité
Caractéristiques du quartier
Commodités à proximité
Autoroute, Un cégep, Terrain de golf, Un hôpital, Parc, Écoles

Terrain

Caractéristiques du terrain
Façade
66 pi
Autres informations sur la propriété
Type de Zonage
Résidentiel
Caractéristiques de la ferme
Type de ferme
Autre
Caractéristiques du bord de l'eau
Nom du secteur riverain
rivière Richelieu
Souhaitez-vous visiter cette propriété?
Demander une visite

Inscriptions semblables

Isabelle Leblanc