Nous utilisons des témoins et d’autres technologies pour assurer le fonctionnement et la sécurité de nos services en ligne, et pour vous offrir une expérience personnalisée. En continuant à utiliser nos services en ligne, vous acceptez notre Politique de confidentialité et les conditions d’utilisation. Pour obtenir des informations sur la façon de régler vos paramètres de confidentialité, veuillez consulter notre Politique sur les témoins.
Masquer
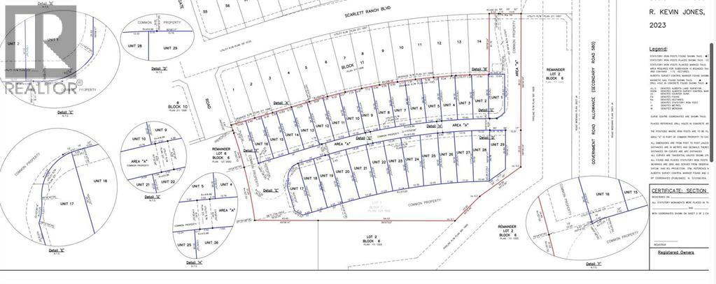
Accueil AB Division No. 6 Carstairs
1445 Scarlett Ranch Boulevard
Directions Imprimer
1445 Scarlett Ranch Boulevard 4 200 000 $
4 200 000 $
Masquer
Favoris

1445 Scarlett Ranch Boulevard
Carstairs, Alberta T0M0N0

Numéro MLS® : A2198926

Résumé de la propriété

Type de propriété
Terrain vacant
Titre
Tenure franche
Superficie du terrain
22 a|10 - 49 acres
Âge de l'édifice
Âge inconnu
Impôt foncier annuel
450 $
Sur REALTOR.ca depuis
340 jours

Terrain

Caractéristiques du terrain
Clôture
Non clôturé
Données fournies par : Pillar 9™
Souhaitez-vous visiter cette propriété?
Demander une visite

Inscriptions semblables

Ed Kwan