Nous utilisons des témoins et d’autres technologies pour assurer le fonctionnement et la sécurité de nos services en ligne, et pour vous offrir une expérience personnalisée. En continuant à utiliser nos services en ligne, vous acceptez notre Politique de confidentialité et les conditions d’utilisation. Pour obtenir des informations sur la façon de régler vos paramètres de confidentialité, veuillez consulter notre Politique sur les témoins.
Masquer
Accueil QC Grand Amos Abitibi Trécesson
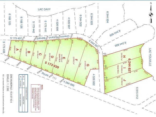
Ch. Rolland-Bénard
Directions Imprimer
Ch. Rolland-Bénard 36 300 $ + TPS + TVQ
36 300 $ + TPS + TVQ
Masquer
Favoris

Ch. Rolland-Bénard
Trécesson, Québec J9T3A3

Numéro MLS® : 13563995

Description de l’inscription

Terrain à vendre Trécesson(Villemontel). Grand terrain boisé avec vue sur le lac Davy à 15 minutes d'Amos. Un accès au lac via un bande de terrain réservée par la municipalité. Amenez- nous votre projet! TPS/TVQ doivent être ajoutées au prix demandé (41268524)

Résumé de la propriété

Type de propriété
Terrain vacant
Superficie du terrain
4001 m2
Sur REALTOR.ca depuis
452 jours

Édifice

Caractéristiques du bâtiment
Caractéristiques
Terrain plat
Services publics
Égouts
Pas de réseau d'égouts

Terrain

Caractéristiques du terrain
Façade
52.18 m
Vue
Vue sur l'eau
Autres informations sur la propriété
Type de Zonage
Résidentiel
Caractéristiques de la ferme
Type de ferme
Autre
Souhaitez-vous visiter cette propriété?
Demander une visite

Inscriptions semblables

Luc Lemay