Nous utilisons des témoins et d’autres technologies pour assurer le fonctionnement et la sécurité de nos services en ligne, et pour vous offrir une expérience personnalisée. En continuant à utiliser nos services en ligne, vous acceptez notre Politique de confidentialité et les conditions d’utilisation. Pour obtenir des informations sur la façon de régler vos paramètres de confidentialité, veuillez consulter notre Politique sur les témoins.
Masquer
Accueil ON Haldimand-Norfolk Haldimand County
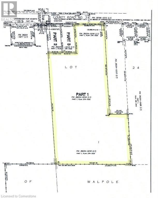
PART 1 RAINHAM Road
Directions Imprimer
PART 1 RAINHAM Road 799 000 $
799 000 $
Masquer
Favoris

PART 1 RAINHAM Road
Selkirk, Ontario N0A1P0

Numéro MLS® : XH4159430
0
Salles de bain
-
Pieds carrés

Résumé de la propriété

Type de propriété
Terrain vacant
Superficie du terrain
5 - 9,99 acres
Impôt foncier annuel
1 $
Sur REALTOR.ca depuis
457 jours

Édifice

Salles de bain
Total
0
Caractéristiques du bâtiment
Caractéristiques
Résidentiel campagne
Souhaitez-vous visiter cette propriété?
Demander une visite

Inscriptions semblables

Peter R. Hogeterp