Nous utilisons des témoins et d’autres technologies pour assurer le fonctionnement et la sécurité de nos services en ligne, et pour vous offrir une expérience personnalisée. En continuant à utiliser nos services en ligne, vous acceptez notre Politique de confidentialité et les conditions d’utilisation. Pour obtenir des informations sur la façon de régler vos paramètres de confidentialité, veuillez consulter notre Politique sur les témoins.
Masquer
Accueil AB Division No. 6 Sundre
716 Main Avenue W
Directions Imprimer
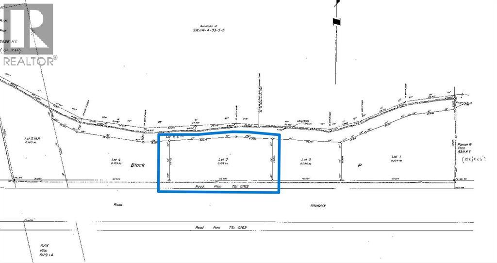
716 Main Avenue W 169 900 $
169 900 $
Masquer
Favoris

716 Main Avenue W
Sundre, Alberta T0M1X0

Numéro MLS® : A2160129

Résumé de la propriété

Type de propriété
Terrain vacant
Titre
Tenure franche
Superficie du terrain
18190 pi2|10 890 - 21 799 pi2 (1/4 - 1/2 acre)
Âge de l'édifice
Âge inconnu
Impôt foncier annuel
1 061 $
Sur REALTOR.ca depuis
473 jours

Édifice

Caractéristiques du quartier
Caractéristiques de la communauté
Ensemble domiciliaire près d'un terrain de golf, Pêche
Commodités à proximité
Terrain de golf, Parc, Terrain de jeu, Loisirs à proximité, Écoles, Centres commerciaux

Terrain

Caractéristiques du terrain
Clôture
Non clôturé
Données fournies par : Pillar 9™
Souhaitez-vous visiter cette propriété?
Demander une visite

Inscriptions semblables

Melanie Asplund