We use cookies and other technologies for functionality, security, and to provide you with a personalized experience on our online services. By continuing to use our online services, you agree to our Privacy Policy and Terms of Use. For information on how to adjust your privacy settings, visit our Cookie Policy.
Dismiss
Home NS Greater Halifax Halifax County Halifax Wellington
Florence Lane
Directions Print
Florence Lane $649,000
$649,000
Hide
Favourite

Florence Lane
Wellington, Nova Scotia B2T1B5

MLS® Number: 202602951

Listing Description

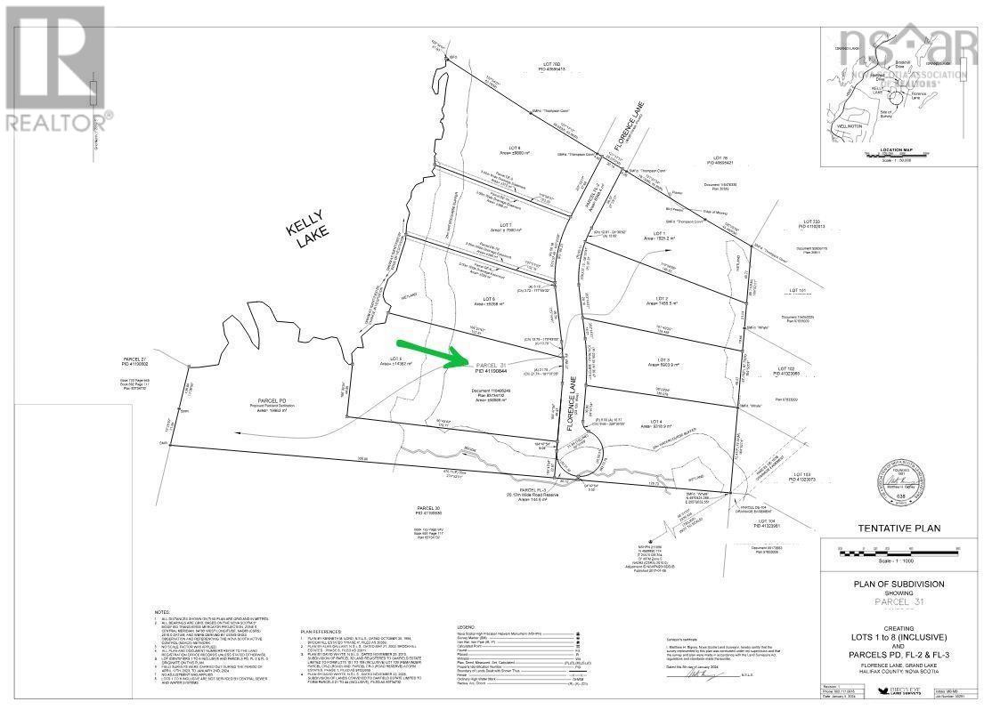
Presenting a remarkable opportunity to acquire and develop multiple (8) exceptional lots or build your dream lakefront home in the highly desirable Brookhill Estates subdivision, nestled within the vibrant Grand Lake community. Just 3 minutes off the highway this expansive 25.9-acre parcel boasts an impressive 1491 ft of pristine water frontage on Kelly Lake, offering stunning settings and endless potential. Ideally situated along Highway 2, between Fall River and Enfield, at the picturesque end of Florence Lane. (231974962)

Location Description

Hwy 2 to Brookhill Dr, right on Hartland Dr, right on Florence Ln

Property Summary

Property Type
Vacant Land
Community Name
Wellington
Title
Freehold
Land Size
25.9 ac
Parking Type
Gravel
Time on REALTOR.ca
8 days

Price and Sale History

Date Status Price
Apr 16, 2021 Sale Closed $250,000

Building

Building Features
Features
Treed, Partially cleared
Utilities
Utility Sewer
No sewage system
Water
None
Parking
Parking Type
Gravel

Land

Waterfront Features
Waterfront
Waterfront on lake
Are you interested in touring this listing?
Request a showing

902-877-0151
902-423-0210
REALTOR® Website

Similar Listings

Ethan Michaels