We use cookies and other technologies for functionality, security, and to provide you with a personalized experience on our online services. By continuing to use our online services, you agree to our Privacy Policy and Terms of Use. For information on how to adjust your privacy settings, visit our Cookie Policy.
Dismiss
Home NS Greater Truro Colchester County Colchester Subdivision C Valley
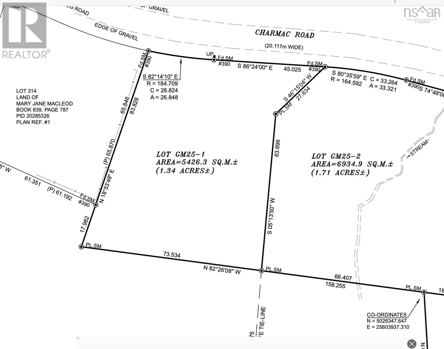
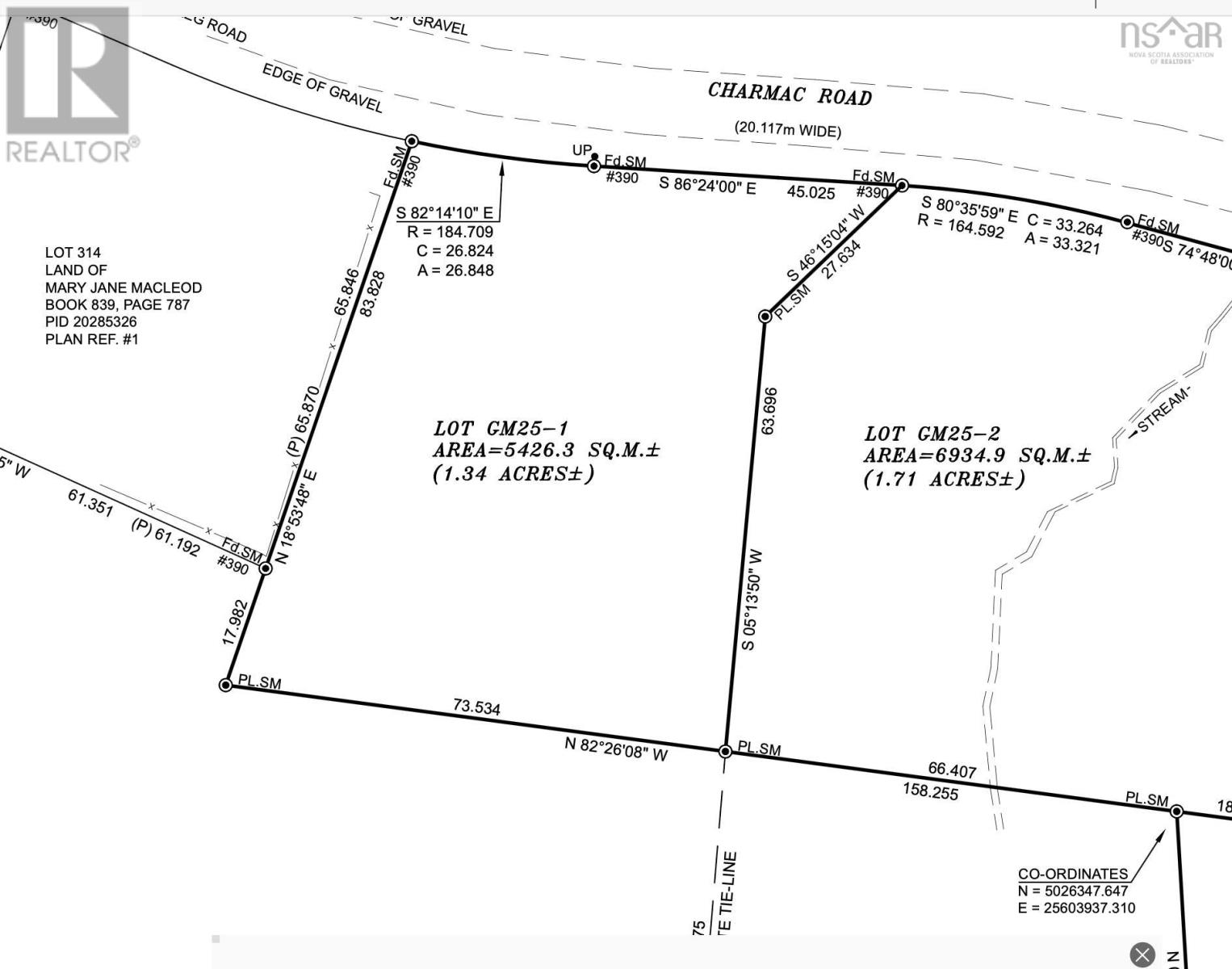
GM25-1 Charmac Road
Directions Print
More Photos + 2
GM25-1 Charmac Road $54,900
$54,900
Hide
Favourite

GM25-1 Charmac Road
Greenfield, Nova Scotia B6L3E4

MLS® Number: 202602150

Listing Description

Great 1.34 +/- acre property to consider on Charmac Road in Greenfield! Wooded and fairly flat, put your driveway in and get your build started in the great community of Greenfield in this quiet road. All costs to subdivide and survey the lot will be handled by the seller prior to closing and new PID to be assigned. Land is subject to HST over and above the purchase price. No mini homes are allowed in this community - owner covenants. (231927736)

Location Description

Old Greenfield Road to Greg Road to Charmac Road - look for the real estate sign.

Property Summary

Property Type
Vacant Land
Community Name
Greenfield
Title
Freehold
Land Size
1.3409 ac
Parking Type
None
Time on REALTOR.ca
23 days

Price and Sale History

Date Status Price
Jul 9, 2025 Sale Closed $52,500
Sep 20, 2024 Sale Closed $28,400
Sep 20, 2024 Sale Closed $28,400

Building

Building Features
Features
Treed, Hardwood bush
Utilities
Utility Sewer
No sewage system
Water
None
Parking
Parking Type
None

Land

Waterfront Features
Surface Water
Pond or Stream
Are you interested in touring this listing?
Request a showing

Similar Listings

Matthew Ward