We use cookies and other technologies for functionality, security, and to provide you with a personalized experience on our online services. By continuing to use our online services, you agree to our Privacy Policy and Terms of Use. For information on how to adjust your privacy settings, visit our Cookie Policy.
Dismiss
Home ON Greater Toronto Area York Region Markham Unionville
49 MAIN ST. SOUTH
Directions Print
49 MAIN ST. SOUTH $499,000
$499,000
Hide
Favourite

49 MAIN ST. SOUTH
Markham (Unionville), Ontario L3P1L2

MLS® Number: N12673906
0
Bathrooms
-
Square Feet

Listing Description

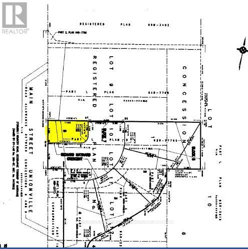
Calling all builders and investors! Don't miss this exceptional opportunity to acquire a prime lot in a highly sought-after neighbourhood. This fully serviced lot offers the potential for a future detached 2-storey/3-storey home/tiny home and is conveniently located just steps away from the charm of Historic Main Street, where you can enjoy shops, galleries, and dining options. Stroll to the scenic Toogood Pond, and easily access the GO Train, York University, and Downtown Markham.The lot comes with site plan approval for building a detached home, subject to the extension of Richard Maynard Cres. Once the extension is approved and connected to the north end of the existing street, the easement will be removed. It's essential that buyers conduct their own due diligence. Secure your investment in this thriving area today! Land Info Package Available Under Attachments. **Please note that the planning department stated that the land adjacent to 49 Main Street needs to be developed before the road can be built. It is up to the owner of the land to build this road. There is an extra cost of approx. $300k on top* (41900711)

Location Description

MAIN ST. S & HWY 7, UNIONVILLE

Property Summary

Property Type
Vacant Land
Community Name
Unionville
Land Size
30.7 x 55.87 FT ; SEE EXTRAS|under 1/2 acre
Annual Property Taxes
$216.09
Parking Type
No Garage
Time on REALTOR.ca
51 days

Building

Bathrooms
Total
0
Utilities
Utility Type
Cable (Available), Electricity (Available), Sewer (Installed)
Utility Sewer
Sanitary sewer
Water
Municipal water
Parking
Parking Type
No Garage

Land

Lot Features
Frontage
30 ft ,8 in
Land Depth
55 ft ,10 in
Other Property Information
Zoning Description
R3 Residential
Are you interested in touring this listing?
Request a showing

Similar Listings

SYLVIA MORRIS