We use cookies and other technologies for functionality, security, and to provide you with a personalized experience on our online services. By continuing to use our online services, you agree to our Privacy Policy and Terms of Use. For information on how to adjust your privacy settings, visit our Cookie Policy.
Dismiss
Home BC Metro Vancouver Greater Vancouver Maple Ridge Cottonwood
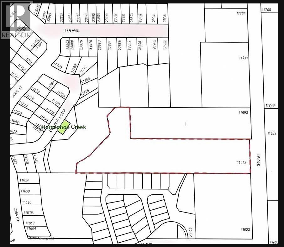
11673 240 STREET
Directions Print
11673 240 STREET $7,380,000
$7,380,000
Hide
Favourite

11673 240 STREET
Maple Ridge, British Columbia V4R1M6

MLS® Number: C8074861

Listing Description

Development 3.29 acre property located in "Cottonwood" development area. Designated medium density (40 units per hectare) in Official Community Plan for potential townhouse or row homes. Close to town. Do not enter property without appointment. (37297751)

Property Summary

Property Type
Vacant Land
Land Size
143138 sqft
Annual Property Taxes
$51,960.49
Time on REALTOR.ca
51 days

Land

Other Property Information
Zoning Description
RS-3
Data provided by: Greater Vancouver REALTORS®
Are you interested in touring this listing?
Request a showing

Similar Listings

Ron Antalek