We use cookies and other technologies for functionality, security, and to provide you with a personalized experience on our online services. By continuing to use our online services, you agree to our Privacy Policy and Terms of Use. For information on how to adjust your privacy settings, visit our Cookie Policy.
Dismiss
Home NS Hants County East Hants
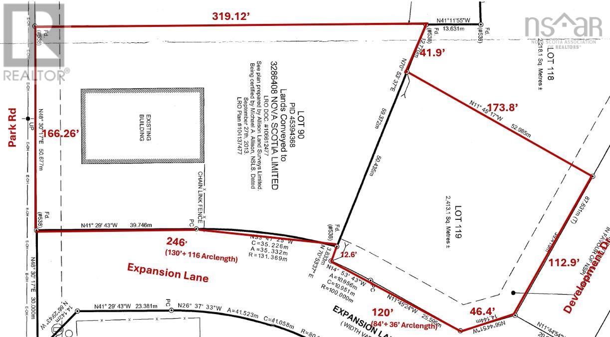
293 Park Road
Directions Print
293 Park Road $2,595,000
$2,595,000
Hide
Favourite

293 Park Road
Elmsdale, Nova Scotia B2S0G3

MLS® Number: 202527673

Listing Description

Built in 2015, this 7,200 SF modern ICF Concrete industrial building on 1.7 Acres with frontage on 3 streets in the Elmsdale Industrial Park offers 6,000 SF(60' X 100') ground floor with clear span column spacing, plus 1,200 SF Heavy Wood Frame mezzanine(60' X 20') with office below. Features include 16' clear ceiling height, one 14' x 12' grade loading door with electronic opener, 600/347 Volt 200 Amp 3 Phase Power with 45 KVA & 30 KVA 120/208 Volt 3 Phase Transformers & Zeneth Transfer Switch, geothermal in floor heating/cooling (3 zones), additional Ducted Heat Pump units, HRV Ventilalation, reception foyer, 2 offices, 3 washrooms, data/electrical rooms, mezzanine storage, and municipal water/sewer. Rare large fenced and gated yard area suitable for 53' Tractor Trailer maneuvering. (231616427)

Location Description

Highway 102 to Exit 8, Turn left at top of ramp, turn left onto Park Road, #293 is on the right side on the corner of Expansion Lane & Park Drive.

Property Summary

Property Type
Industrial
Community Name
Elmsdale
Title
Freehold
Land Size
1.6961 ac
Built in
2015
Parking Type
Gravel
Time on REALTOR.ca
36 days

Building

Interior Features
Flooring
Concrete, Heavy loading, Other
Building Features
Construction Material
Concrete Walls
Heating & Cooling
Cooling
Heat Pump
Utilities
Water
Municipal water
Business
Business Type
Other (Other)
Parking
Parking Type
Gravel

Measurements

Total Finished Area
7200 sqft
Are you interested in touring this listing?
Request a showing

902-293-4524
902-489-7187
Philip Bolhuis