We use cookies and other technologies for functionality, security, and to provide you with a personalized experience on our online services. By continuing to use our online services, you agree to our Privacy Policy and Terms of Use. For information on how to adjust your privacy settings, visit our Cookie Policy.
Dismiss
Home NS Cape Breton Cape Breton County Cape Breton Municipality Albert Bridge
Old Louisbourg Road New Boston Road
Directions Print
Old Louisbourg Road New Boston Road $47,500
$47,500
Hide
Favourite

Old Louisbourg Road
New Boston Road
Albert Bridge, Nova Scotia B1K2P7

MLS® Number: 202522616

Listing Description

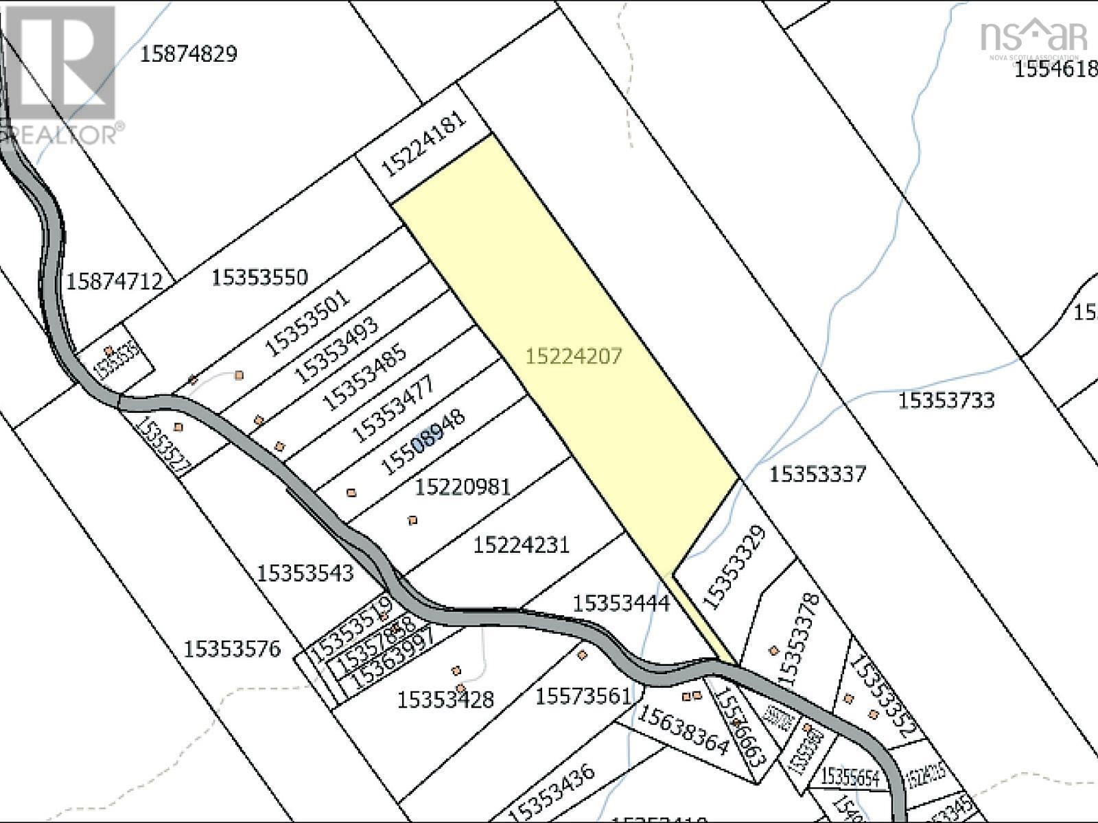
27.85 acres of wooded land located on New Boston Road (formerly Old Louisbourg Highway) in Albert Bridge, Cape Breton County. The property offers approximately 90 feet of road frontage and extends back more than 2,600 feet in depth, providing privacy and space for future development. Zoned RU (Rural Resource), the lot allows for residential and resource uses, with no restrictive covenants limiting your plans. Power is available at the roadside. Conveniently located just 5 minutes (4.1 km) past the Albert Bridge - turnoff onto New Boston Road, property is just before civic 1060. From the property it's approximately 20 minutes to Sydney. Land is "RESOURCE TAXABLE" - Deed Dransfer Tax is 1.5% for both NS buyers and out of province buyers. (231350114)

Location Description

The listing is located just before civic 1060 New Boston Rd and directly across from 1077 New Boston Rd. Starting from 1060, on the same side of the culvert, there is a stake marking the beginning of the property. From that point, the frontage measures approximately 90 feet. The end of the 90 feet is almost directly across from the end of the driveway at 1077 New Boston Rd.

Property Summary

Property Type
Vacant Land
Community Name
Albert Bridge
Title
Freehold
Land Size
27.8275 ac
Parking Type
None
Time on REALTOR.ca
153 days

Building

Building Features
Features
Treed, Hardwood bush, Softwood bush
Utilities
Utility Sewer
No sewage system
Water
None
Parking
Parking Type
None
Are you interested in touring this listing?
Request a showing

Similar Listings

Sondra Lahey