We use cookies and other technologies for functionality, security, and to provide you with a personalized experience on our online services. By continuing to use our online services, you agree to our Privacy Policy and Terms of Use. For information on how to adjust your privacy settings, visit our Cookie Policy.
Dismiss
Home BC Telkwa
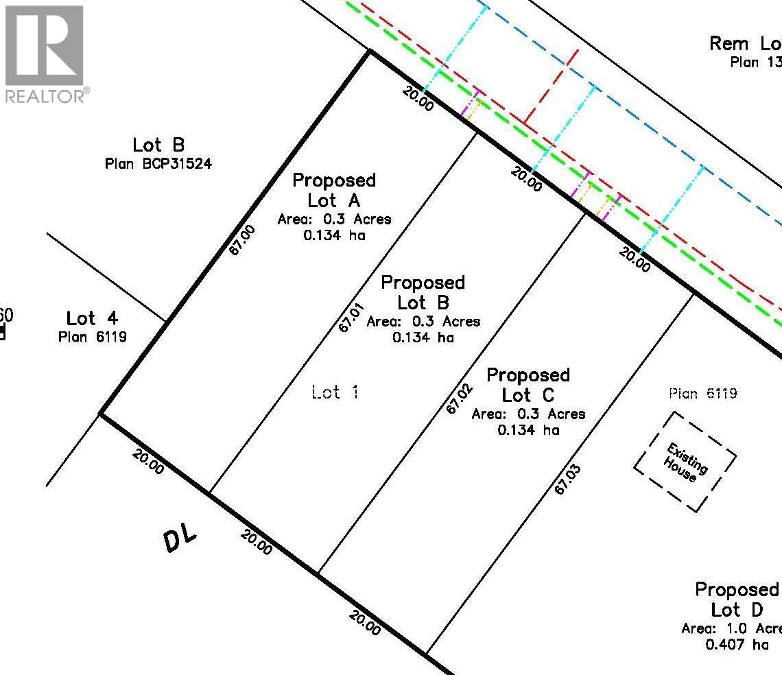
LOT A DOGWOOD STREET
Directions Print
More Photos + 2
LOT A DOGWOOD STREET $120,000
4 days ago
$120,000
Hide
Favourite

LOT A DOGWOOD STREET
Telkwa, British Columbia V0J2X0

MLS® Number: R3092985

Listing Description

Great building lot located in the picturesque Village of Telkwa. This large 0.3 acre lot provides you with the freedom to design and construct your ideal living space while still having ample outdoor space for landscaping and yard. Located in an established neighbourhood. This lot is fully serviced, level and ready to be developed. Within walking distance to the Telkwa and Bulkley Rivers. (32486510)

Property Summary

Property Type
Vacant Land
Title
Freehold
Land Size
0.3 ac
Annual Property Taxes
$0
Time on REALTOR.ca
4 days

Building

Building Features
Style
Unknown
Utilities
Water
Municipal water
Data provided by: BC Northern Real Estate Board
Are you interested in touring this listing?
Request a showing

Similar Listings

Jantina Hamelink