We use cookies and other technologies for functionality, security, and to provide you with a personalized experience on our online services. By continuing to use our online services, you agree to our Privacy Policy and Terms of Use. For information on how to adjust your privacy settings, visit our Cookie Policy.
Dismiss
Home QC Ottawa - Gatineau Mayo
Route 315
Directions Print
Route 315 $149,000
4 days ago
$149,000
Hide
Favourite

Route 315
Mulgrave-et-Derry, Quebec J8L2W8

MLS® Number: 17910962

Listing Description

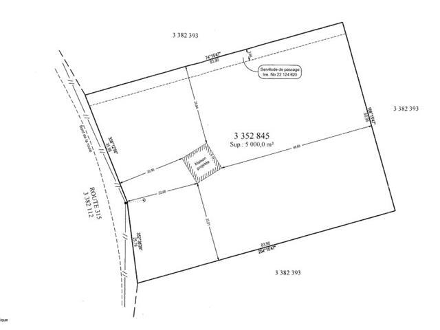
Très beau terrain à construire 61.4 mètre façade x 5000 m2, avec permis de construction. vue sur le lac La Blanche. Terrain boisé et piste de moto neige tout près. Super belle place. Faut voir. (47299048)

Property Summary

Property Type
Vacant Land
Land Size
5000 m2
Time on REALTOR.ca
4 days

Building

Building Features
Features
Sloping, Flat site
Utilities
Utility Sewer
No sewage system

Land

Lot Features
Frontage
61.4 m
View
View of water, Mountain view, View (panoramic)
Other Property Information
Zoning Type
Residential
Farm Features
Farm Type
Other
Are you interested in touring this listing?
Request a showing

Similar Listings

Jacques Durocher