We use cookies and other technologies for functionality, security, and to provide you with a personalized experience on our online services. By continuing to use our online services, you agree to our Privacy Policy and Terms of Use. For information on how to adjust your privacy settings, visit our Cookie Policy.
Dismiss
Home MB Division No. 3 Dufferin
32030 Service W 3 Highway
Directions Print
32030 Service W 3 Highway $185,000
$185,000
Hide
Favourite

32030 Service W 3 Highway
Dufferin, Manitoba R0G0J0

MLS® Number: 202600493
0
Bathrooms
-
Square Feet

Listing Description

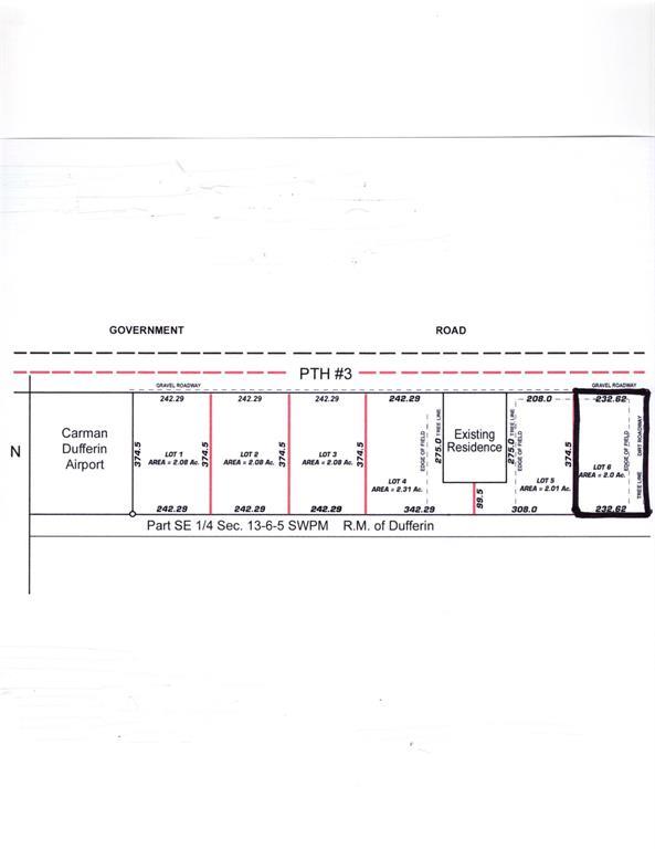
R39//Dufferin/Incredible Opportunity to Build on this Acreage less than 2 Miles South of Carman! 2.0 Acres in Size! Zoned Ag Restricted Allows for a Single Family Home and a Shop if one Wishes! Municipal Water Line is Accessible!-Quote can be Provided upon Request! A Permitted Business may operate out of the Shop however Buyer should Contact the Carman/Dufferin Planning District Office for Further Questions and Permitted Uses! Property Taxes to be Determined!!6 Separate Lots in this Development .This Listing is Lot 6. Asking $185,000 + GST for each of them. (231827359)

Property Summary

Property Type
Vacant Land
Building Type
No Building
Community Name
RM of Dufferin
Neighbourhood Name
RM of Dufferin
Title
Freehold
Land Size
2 ac|2 - 4.99 acres
Annual Property Taxes
$431.10
Time on REALTOR.ca
51 days

Building

Bathrooms
Total
0
Partial
0
Are you interested in touring this listing?
Request a showing

204-745-7710
204-745-2200

Similar Listings

Tamera Bell