We use cookies and other technologies for functionality, security, and to provide you with a personalized experience on our online services. By continuing to use our online services, you agree to our Privacy Policy and Terms of Use. For information on how to adjust your privacy settings, visit our Cookie Policy.
Dismiss
Home BC Greater Kelowna Central Okanagan West Kelowna Lakeview Heights
2640 Boucherie Road
Directions Print
2640 Boucherie Road $399,900
$399,900
Hide
Favourite

2640 Boucherie Road
West Kelowna, British Columbia V1Z1J2

MLS® Number: 10372130

Listing Description

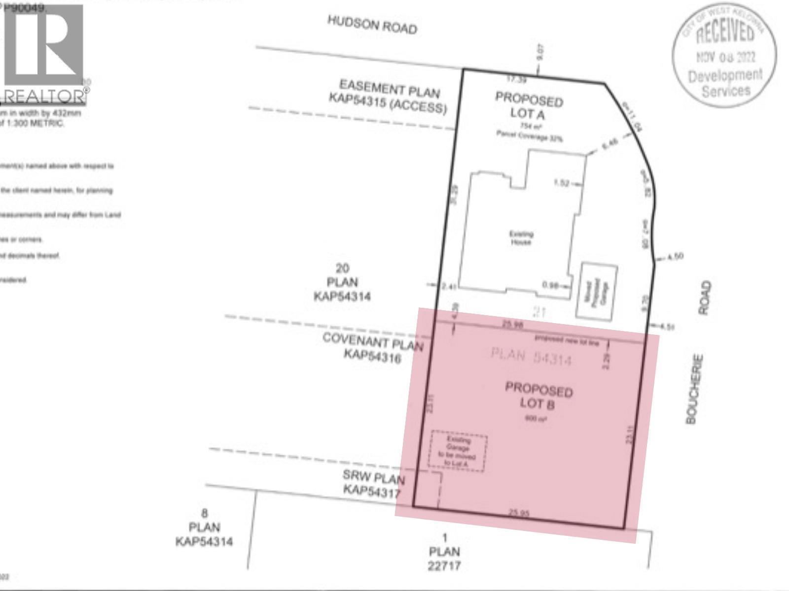
FULLY SERVICED LOT in West Kelowna's Wine Belt, Lakeview Heights. The subdivision awaits final registration. Services connect and deliver capacity for up to 4 units. West Kelowna adopted new BC regulations. R1 zoning now permits duplexes with secondary suites. The lot's wide frontage supports straightforward construction with 50% site coverage and 3-story height allowance.Build a duplex. Construct a single-family home with suites. Design your vision from scratch. Mission Hill Winery sits nearby. Grizzli Winery stands nearly next door. Quails' Gate Winery lies minutes away. Wine trails wind through the neighbourhood. Schools, shopping, and Okanagan beaches complete the location. Downtown Kelowna sits just minutes down the road. No builder restrictions tie your hands. No construction deadlines pressure your timeline. Flexible building guidelines let you create at your own pace. The Lakeview Heights location blends lifestyle appeal with strong future value. This wine corridor address attracts buyers and renters alike. The seller wants this gone. (39597935)

Property Summary

Property Type
Vacant Land
Building Type
Other
Neighbourhood Name
Lakeview Heights
Title
Freehold
Land Size
0.15 ac|under 1 acre
Annual Property Taxes
$0
Time on REALTOR.ca
31 days

Building

Building Features
Features
Level lot, Corner Site, Irregular lot size
Utilities
Utility Type
Cable (At Lot Line), Electricity (Available), Natural Gas (At Lot Line), Telephone (At Lot Line), Sewer (Available), Water (At Lot Line)
Utility Sewer
Municipal sewage system
Water
Municipal water
Neighbourhood Features
Amenities Nearby
Airport, Park, Recreation, Schools, Shopping, Ski area

Land

Lot Features
Fencing
Chain link, Other
Frontage
75 ft
Landscape Features
Level
Road Type
Gravel road, Paved road
View
View (panoramic)
Other Property Information
Access
Easy access
Are you interested in touring this listing?
Request a showing

Similar Listings

Michael Jones