We use cookies and other technologies for functionality, security, and to provide you with a personalized experience on our online services. By continuing to use our online services, you agree to our Privacy Policy and Terms of Use. For information on how to adjust your privacy settings, visit our Cookie Policy.
Dismiss
Home NL Greater St. John's Division No. 1 St. John's
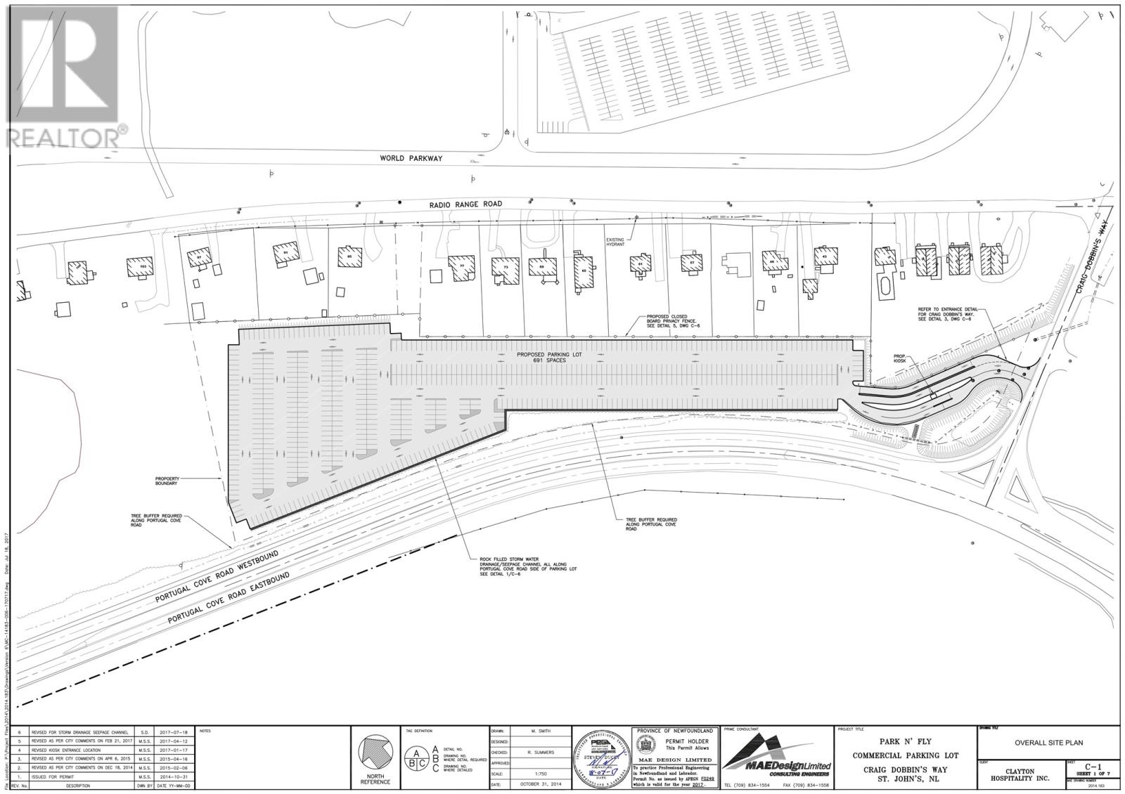
81 Radio Range Road
Directions Print
81 Radio Range Road $1,895,000
16 hours ago
$1,895,000
Hide
Favourite

81 Radio Range Road
St. John's, Newfoundland & Labrador A1A4Y4

MLS® Number: 1293237

Listing Description

Discover approximately 7.2 acres of land in a sought-after east end location, offering unparalleled convenience on the doorstep of St. John's International Airport, Stavanger Drive, and major highway access. Zoned CN, this property provides endless possibilities for commercial development, with the added advantage of previous approval for a Park and Fly. Potential dual access through Craig Dobbin Way and/or Portugal Cove Road enhances accessibility and development options, making this property a standout opportunity in a high-traffic area. Don’t miss out on this prime investment. *HST, permit costs, and any associated fees will be the responsibility of the purchaser. (30473249)

Property Summary

Property Type
Vacant Land
Title
Freehold
Land Size
7.2 acres|3 - 10 acres
Annual Property Taxes
$18,000
Time on REALTOR.ca
16 hours

Building

Utilities
Utility Sewer
No sewage system
Water
None
Neighbourhood Features
Amenities Nearby
Recreation, Shopping

Land

Other Property Information
Zoning Description
CN
Data provided by: Newfoundland & Labrador Association of REALTORS®
Are you interested in touring this listing?
Request a showing

709-765-7051
709-746-2243

Similar Listings

Jack Giannou