We use cookies and other technologies for functionality, security, and to provide you with a personalized experience on our online services. By continuing to use our online services, you agree to our Privacy Policy and Terms of Use. For information on how to adjust your privacy settings, visit our Cookie Policy.
Dismiss
Home NB Greater Saint John Kings County Hampton Parish
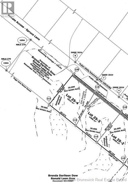
25-4 Spruce Lane
Directions Print
25-4 Spruce Lane $29,000
4 days ago
$29,000
Hide
Favourite

25-4 Spruce Lane
Damascus, New Brunswick E5N0P2

MLS® Number: NB130155

Listing Description

Looking to build a cottage or home away from it all, but still close enough to everything? This could be the one. 1 Acre lot of heaven on a private road with beach access could be yours. Power is available on the road making hook up easy. Deeded beach rights with access to Terreo Lake where you can swim, fish, skate and even enjoy small watercrafts. HST is applicable. (29300662)

Location Description

Damascus Road, Right on Spruce Lane, about half way down you will see red land tape

Property Summary

Property Type
Vacant Land
Title
Freehold
Land Size
4533 m2
Annual Property Taxes
$0
Time on REALTOR.ca
4 days

Building

Utilities
Utility Sewer
No sewage system
Water
None

Land

Lot Features
View
Lake view
Data provided by: New Brunswick REALTORS®
Are you interested in touring this listing?
Request a showing

Similar Listings

Patricia Gallagher