We use cookies and other technologies for functionality, security, and to provide you with a personalized experience on our online services. By continuing to use our online services, you agree to our Privacy Policy and Terms of Use. For information on how to adjust your privacy settings, visit our Cookie Policy.
Dismiss
Home PE Kings County Lot 43
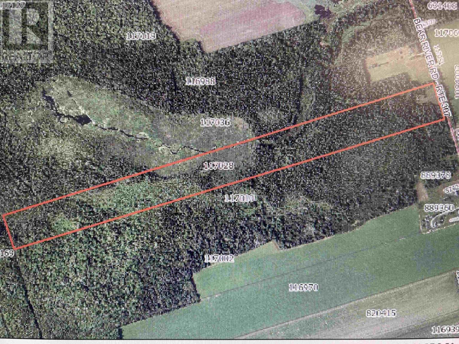
479 Bear River Road
Directions Print
479 Bear River Road $95,000
$95,000
Hide
Favourite

479 Bear River Road
Bear River, Prince Edward Island C0A2B0

MLS® Number: 202529166

Listing Description

This forty acre parcel is a beautiful acreage situated on the Bear River Road. There was a home on the property in the past making this a perfect spot to build you dream home or cabin. Surrounded by nature the forest and natural beauty are perfect for your own private forest with walking trails or snow shoeing. Located a short drive to the Town of Souris where you will find all necessary amenities. (231699623)

Property Summary

Property Type
Vacant Land
Community Name
Bear River
Title
Freehold
Land Size
40 ac|10 - 49 acres
Annual Property Taxes
$322
Time on REALTOR.ca
81 days

Building

Building Features
Features
Treed
Utilities
Utility Sewer
No sewage system
Water
None

Land

Other Property Information
Access
Year-round access
Easements
None
Are you interested in touring this listing?
Request a showing

Similar Listings

Christopher Blaisdell