We use cookies and other technologies for functionality, security, and to provide you with a personalized experience on our online services. By continuing to use our online services, you agree to our Privacy Policy and Terms of Use. For information on how to adjust your privacy settings, visit our Cookie Policy.
Dismiss
Home ON Greater Windsor Essex County Windsor Remington Park
675 TECUMSEH ROAD W
Directions Print
675 TECUMSEH ROAD W $8,800,000
$8,800,000
Hide
Favourite

675 TECUMSEH ROAD W
Windsor, Ontario N8Z1H4

MLS® Number: X12569318

Listing Description

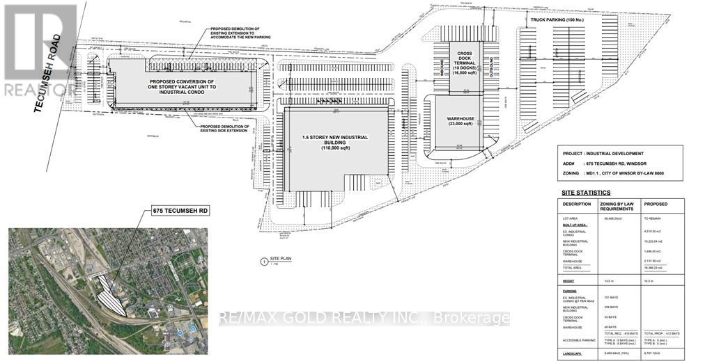
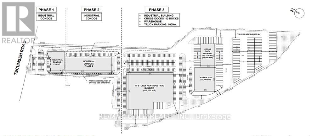
City of Windsor Industrial Development Opportunity located right in the City of Windsor. Conversion of existing industrial building into smaller Industrial / Retail units will create excellent ROI for the investor. Very low cost of conversion makes this project a great start up for the new investors / builders looking to enter the development market. The development project can be divided into multiple phases to pay off the initial investment and to reap the future profits by pre sales of the future development. Sellers willing to assist in development. (41698711)

Location Description

Cross Streets: Tecumseh Rd & South Pacific St. ** Directions: Tecumseh Rd West.

Property Summary

Property Type
Industrial
Building Type
Warehouse
Land Size
13.95 ac
Age Of Building
31 to 50 years
Annual Property Taxes
$80,887
Total Parking Spaces
100
Time on REALTOR.ca
23 days

Building

Heating & Cooling
Cooling
None
Heating Type
No heat
Utilities
Water
Municipal water
Business
Business Type
Industrial (Warehouse)
Parking
Total Parking Spaces
100

Measurements

Square Footage
64000 sqft
Exterior Building Size
64000 sqft

Land

Other Property Information
Zoning Description
md1 (Warehouse / Manufacturing)
Are you interested in touring this listing?
Request a showing

647-409-0100
647-409-0100
REALTOR® Website
AMAN SETHI