We use cookies and other technologies for functionality, security, and to provide you with a personalized experience on our online services. By continuing to use our online services, you agree to our Privacy Policy and Terms of Use. For information on how to adjust your privacy settings, visit our Cookie Policy.
Dismiss
Home ON Greater Brockville United Counties of Leeds and Grenville Brockville
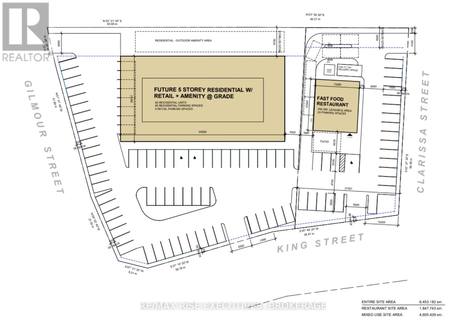
260 KING STREET W
Directions Print
260 KING STREET W $25/square feet
$25/square feet
Hide
Favourite

260 KING STREET W
Brockville, Ontario K6V3S1

MLS® Number: X12540174

Listing Description

Exceptional high-profile corner location in Downtown Brockville, neighborhood retailers include Metro, Shopper's, Tim Hortons, Brockville Arts Centre, Downtown Parking and more. Ideal location for a wide range of uses from clinic, veterinarian, retail, drive-thru. Landlord is offering a build-to-suit lease back opportunity, starting from $25/square foot. A free standing drive-thru pad would be starting from $35/square foot. All lease rates triple net per landlord form of lease (TBD - taxes not assessed). Build to suit building shell, lease rate subject to approval of landlord of building specifications to be provided by tenant and subject to the landlord's form of lease. Landlord will consider Land Lease which may be ideal for temporary use especially for landscape or other operations land only on site, subject to meeting zoning approvals. (41638705)

Location Description

Cross Streets: Clarissa and Gilmour Street. ** Directions: North East Corner of Clarissa & King St West Across from Metro.

Property Summary

Property Type
Retail
Community Name
810 - Brockville
Land Size
99 x 187 FT
Age Of Building
New building
Annual Property Taxes
$0
Total Parking Spaces
25
Time on REALTOR.ca
37 days

Building

Heating & Cooling
Cooling
Fully air conditioned
Heating Type
Forced air (Natural gas)
Utilities
Water
Municipal water
Business
Business Type
Retail and Wholesale (Retail misc.)
Parking
Total Parking Spaces
25

Measurements

Square Footage
2500 sqft

Land

Lot Features
Frontage
99 ft
Land Depth
187 ft
Other Property Information
Zoning Description
MD
Lease Type
Net
Are you interested in touring this listing?
Request a showing

PATRICK N HULLEY