We use cookies and other technologies for functionality, security, and to provide you with a personalized experience on our online services. By continuing to use our online services, you agree to our Privacy Policy and Terms of Use. For information on how to adjust your privacy settings, visit our Cookie Policy.
Dismiss
Home ON United Counties of Prescott and Russell The Nation
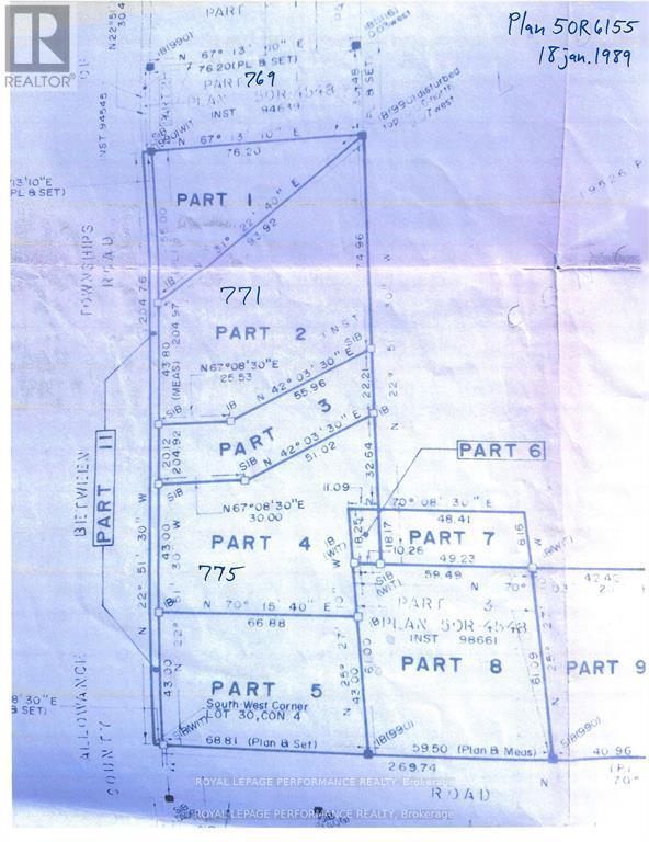
769 LIMOGES ROAD
Directions Print
769 LIMOGES ROAD $249,500
$249,500
Hide
Favourite

769 LIMOGES ROAD
The Nation, Ontario K0A2M0

MLS® Number: X12499280

Listing Description

Presenting 1.08 acres of prime commercial land, perfectly situated in the growing town of Limoges! Fantastic opportunity to purchase (2) lots under the same purchase (2 separate PIN #'s, 2 roll #'s). In a location that simply can't be beat, this parcel of land is situated at the steps of the Trans-Canada Highway 417, in a prime location for future commercial development. Zoned CH (highway commercial), offering a broad range of permitted uses. The town of Limoges is part of the extremely progressive township of The Nation. With a rapidly rising population & many new significant residential developments already under way, this parcel of land offers a fantastic opportunity for serious investors & developers. Situated a 20-25 minute drive from Ottawa, +/- 1h30 from Montreal, and +/- 5h from Toronto. Minimum of 48h irrevocable on all offers. Lot lines in the photos are approximate, and for marketing purposes only. (41556021)

Location Description

Cross Streets: Limoges Rd/Route 300. ** Directions: From Highway 417 East, take Limoges exit 79, turn left on Limoges Rd, property will be on your left.

Property Summary

Property Type
Vacant Land
Community Name
605 - The Nation Municipality
Land Size
1.083 ac
Annual Property Taxes
$262
Time on REALTOR.ca
118 days

Building

Building Features
Features
Irregular lot size

Measurements

Square Footage
1 ac

Land

Lot Features
Frontage
280 ft ,1 in
Land Depth
250 ft ,2 in
Other Property Information
Zoning Description
CH
Data provided by: Ottawa Real Estate Board
Are you interested in touring this listing?
Request a showing

Similar Listings

Mathieu Fournier