We use cookies and other technologies for functionality, security, and to provide you with a personalized experience on our online services. By continuing to use our online services, you agree to our Privacy Policy and Terms of Use. For information on how to adjust your privacy settings, visit our Cookie Policy.
Dismiss
Home ON Greater Windsor Essex County Lakeshore
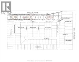
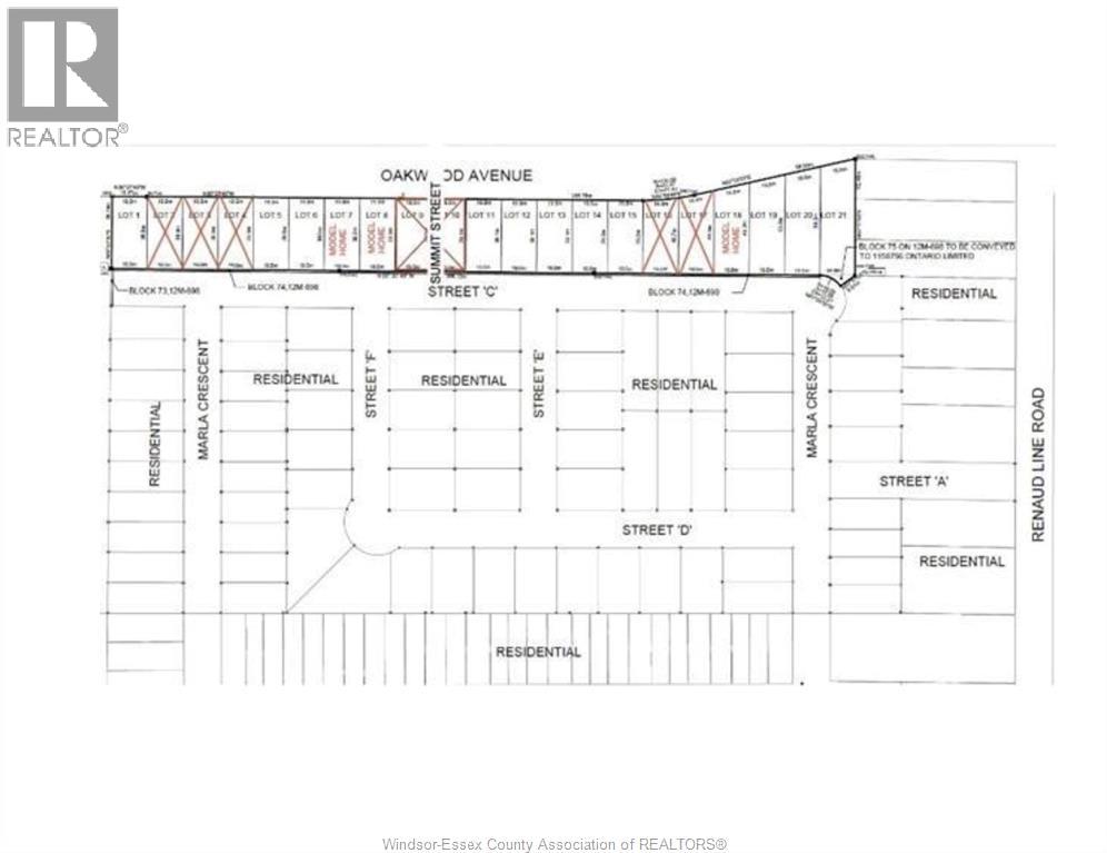
LOT 1 SUMMIT
Directions Print
LOT 1 SUMMIT $339,000
$339,000
Hide
Favourite

LOT 1 SUMMIT
Lakeshore, Ontario N0R1A7

MLS® Number: 25026957

Listing Description

Fully serviced vacant lot for your custom home. Build your own or have your contractor do it. Large 62 x 127 ft lot. No building restrictions. Permits available immediately. Close to Atlas Tube Rec Centre, St Anne's High School, Lakeshore Discovery School and newly renovated River Ridge Park with tennis courts, splashpad, etc. Other lots available. (54050148)

Property Summary

Property Type
Vacant Land
Building Type
No Building
Title
Freehold
Land Size
62 X 127 FT
Time on REALTOR.ca
51 days

Land

Other Property Information
Zoning Description
RES
Are you interested in touring this listing?
Request a showing

Similar Listings

GORAN TODOROVIC