We use cookies and other technologies for functionality, security, and to provide you with a personalized experience on our online services. By continuing to use our online services, you agree to our Privacy Policy and Terms of Use. For information on how to adjust your privacy settings, visit our Cookie Policy.
Dismiss
Home NL Grand Falls-Windsor Division No. 6
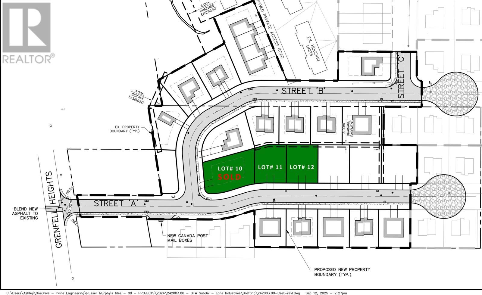
Lot 12 Sprucewood Estates
Directions Print
Lot 12 Sprucewood Estates $89,900
Price Change on 02/03/2026
$89,900
-$10,000
$99,900
Hide
Favourite

Lot 12 Sprucewood Estates
Grand Falls-Windsor, Newfoundland & Labrador A2A2J2

MLS® Number: 1290838

Listing Description

Newest subdivision in Grand Falls-Windsor: Sprucewood Estates. LOT 12:This lot will be connected in the spring of 2026 but why wait!? Reserve it now and put your creative thinking to work. You can get your own blue prints and contractor or we can build it for you. HST is applicable and responsibility of Purchaser. (30196694)

Property Summary

Property Type
Vacant Land
Title
Freehold
Land Size
72 x 87|4,051 - 7,250 sqft
Annual Property Taxes
$0
Time on REALTOR.ca
136 days

Building

Utilities
Utility Sewer
Municipal sewage system
Water
Municipal water
Neighbourhood Features
Amenities Nearby
Recreation

Land

Other Property Information
Access
Year-round access
Zoning Description
RES
Data provided by: Newfoundland & Labrador Association of REALTORS®
Are you interested in touring this listing?
Request a showing

Similar Listings

Riccardo Marrara